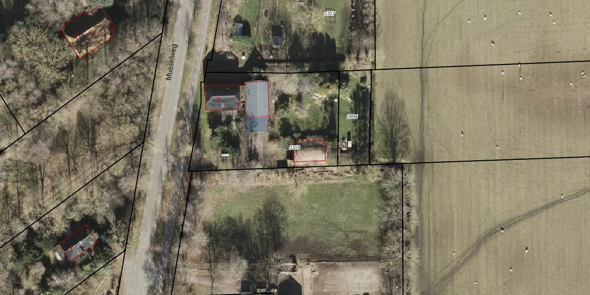
Perceel: OWD00-W-1319
KadastraleKaart.com kan meer dan je denktOntdek meer ›
Filter op bestemming 50+ datasets Eigendomsdata in één klik Percelen CRM
1.558 m2 - 163 m
Eigenaar opvragen
OWD00-W-1319 (Onstwedde)
- 9584 AD
TIx4 Pk1nLidyd1mlWrkETFrpY Upgrade naar KadastraleKaart Pro
Verkoopprijs opvragen
Bekijk op Street View
Download DWG/DXF/Excel
cEIBQpqNK1F4Upgrade naar KadastraleKaart Pro
jmcbBTb3bmUpgrade naar KadastraleKaart Pro
jkBOZa wosslzW Ywz 5Upgrade naar KadastraleKaart Pro
qqggS7T2lnOML kIhJ M 0Upgrade naar KadastraleKaart Pro
2lHRKHuCtUpgrade naar KadastraleKaart Pro
O7kDRGtqN Upgrade naar KadastraleKaart Pro
sq5qYSH21Upgrade naar KadastraleKaart Pro
gYmtVQZAr2NpUpgrade naar KadastraleKaart Pro
m0Olb9qNnkLOF04za9LDUpgrade naar KadastraleKaart Pro
te 2y TBEj9TaSxjhfoBObHUpgrade naar KadastraleKaart Pro
07/02/2007

Percelen
Gebruik de zoekbalk of klik op een perceel om informatie over het perceel te bekijken.