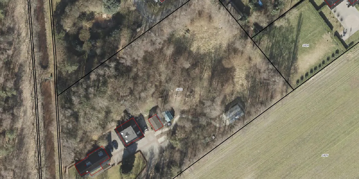
Perceel: OWD00-W-1822
KadastraleKaart.com kan meer dan je denktOntdek meer ›
Filter op bestemming 50+ datasets Eigendomsdata in één klik Percelen CRM
9.615 m2 - 423 m
Eigenaar opvragen
OWD00-W-1822 (Onstwedde)
- 9585 PC
mte04ROaRFA 2PCB tk x mdtDy E9Upgrade naar KadastraleKaart Pro
Verkoopprijs opvragen
Bekijk op Street View
Download DWG/DXF/Excel
U zrcU6PqTRUpgrade naar KadastraleKaart Pro
YKg Oid5UAQeihG7nQZjUpgrade naar KadastraleKaart Pro
yq8xpSV KFIUpgrade naar KadastraleKaart Pro
NWJth 1dzfUpgrade naar KadastraleKaart Pro
81exXwqK 0AcZ IszWWjMUpgrade naar KadastraleKaart Pro
YEBCYRlQvMHZYSRujUpgrade naar KadastraleKaart Pro
30VbE4O6lWVsUpgrade naar KadastraleKaart Pro
dn WZEnbY8 u3R6U7gNUpgrade naar KadastraleKaart Pro
oa5MyApcz gd5G mdniSUpgrade naar KadastraleKaart Pro
sW Rft0eKqF fjlG 9SsdaUpgrade naar KadastraleKaart Pro
14/01/2003

Percelen
Gebruik de zoekbalk of klik op een perceel om informatie over het perceel te bekijken.