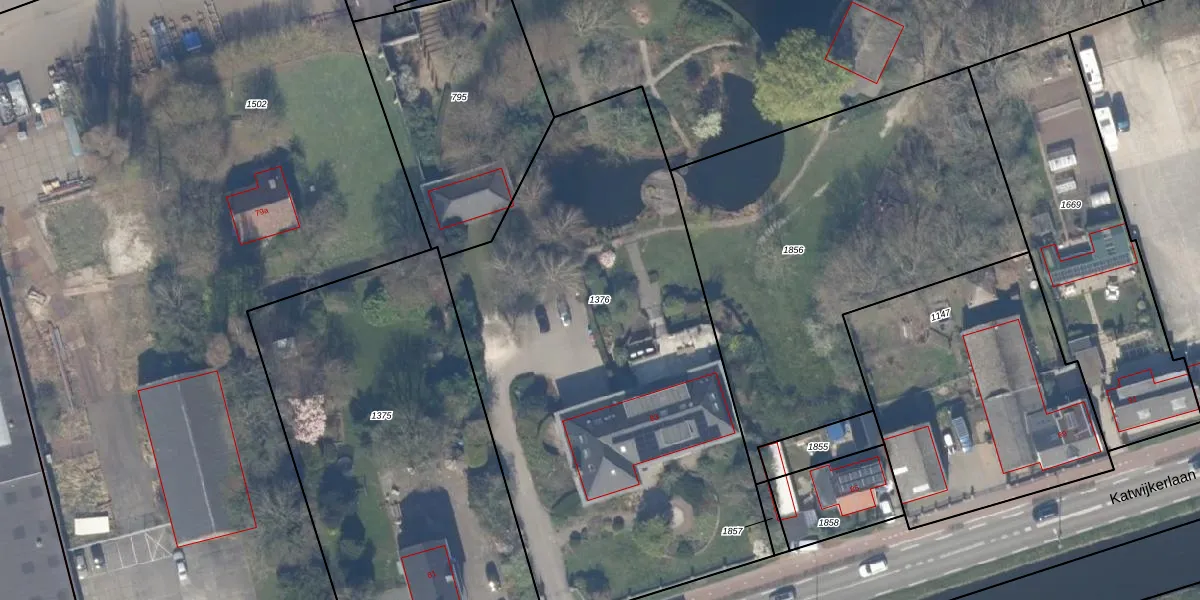
Perceel: PAK00-A-1376
3.045 m2 - 233 m
Eigenaar opvragen
PAK00-A-1376 (Pijnacker)
- 2641 PD
ykW1 6YwDs IlC0Wj0sJ MuUpgrade naar KadastraleKaart Pro
Verkoopprijs opvragen
Bekijk op Street View
Download DWG/DXF/Excel
b9lU rLU hc QmUpgrade naar KadastraleKaart Pro
MR71N1c h6LOMyGp7lRUpgrade naar KadastraleKaart Pro
8 idfkouRpUpgrade naar KadastraleKaart Pro
dgY6ocuHA7x7nvYtFAbSwUpgrade naar KadastraleKaart Pro
RTKIEQwzzqvwJjUpgrade naar KadastraleKaart Pro
8uxa8ESQdzCtEbSTgUpgrade naar KadastraleKaart Pro
Rsf860CdAQ3Upgrade naar KadastraleKaart Pro
m bPzDi otUpgrade naar KadastraleKaart Pro
4cLP 5A BGGl OMUpgrade naar KadastraleKaart Pro
yi5 Y62Gq46 rCWUpgrade naar KadastraleKaart Pro
29/07/2004

Percelen
Gebruik de zoekbalk of klik op een perceel om informatie over het perceel te bekijken.