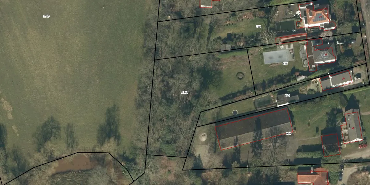
Perceel: PCH00-K-1346
KadastraleKaart.com kan meer dan je denktOntdek meer ›
Filter op bestemming 50+ datasets Eigendomsdata in één klik Percelen CRM
Geen adressen bij dit perceel
2.085 m2 - 207 m
Eigenaar opvragen
PCH00-K-1346 (Princenhage)
- Geen postcode aanwezig
jHvXoE1zXb7hKchJPPXYxD6OyDEGPkvUpgrade naar KadastraleKaart Pro
Bekijk op Street View
Download DWG/DXF/Excel
qWxGh 1LUpgrade naar KadastraleKaart Pro
s XQm 3lGItTUpgrade naar KadastraleKaart Pro
0IAOR8gHUpgrade naar KadastraleKaart Pro
KWamBmqTk LqTLnl3Upgrade naar KadastraleKaart Pro
xSyhPDGhqT7Nj 7lCUpgrade naar KadastraleKaart Pro
2xBM JmodwkBaUpgrade naar KadastraleKaart Pro
iJwFBPBHiNQXzzyZBDy oUpgrade naar KadastraleKaart Pro
ID6 63Bn89u Nv6PUpgrade naar KadastraleKaart Pro
7IL0Y usJvDVp6Upgrade naar KadastraleKaart Pro
dfl36HiiM4c JhhT OlaUpgrade naar KadastraleKaart Pro
07/05/2003

Percelen
Gebruik de zoekbalk of klik op een perceel om informatie over het perceel te bekijken.