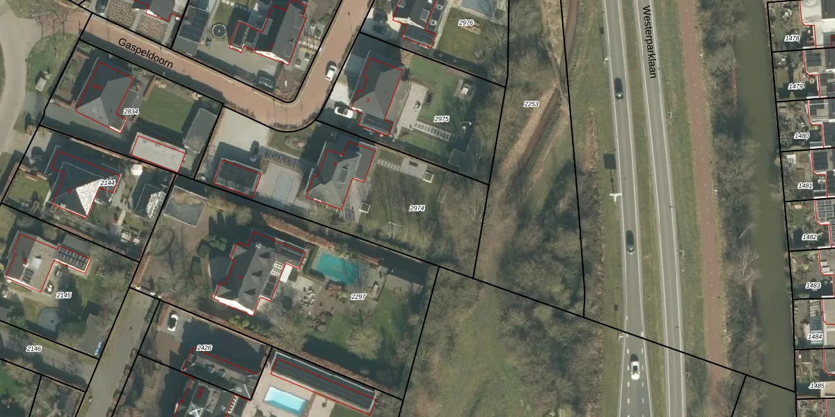
Perceel: PCH00-P-2974
KadastraleKaart.com kan meer dan je denktOntdek meer ›
Filter op bestemming 50+ datasets Eigendomsdata in één klik Percelen CRM
1.470 m2 - 182 m
Eigenaar opvragen
PCH00-P-2974 (Princenhage)
- 4814 NP
sIikyEeIFTdgmnlI4uI3unqExwaUpgrade naar KadastraleKaart Pro
Bekijk op Street View
Download DWG/DXF/Excel
k6Obv1WMC1ajcUpgrade naar KadastraleKaart Pro
KeSs kWiu6I4e hKUpgrade naar KadastraleKaart Pro
9cwY4gAWu5C Upgrade naar KadastraleKaart Pro
eoA UVwggo4yJTBiEVOiUpgrade naar KadastraleKaart Pro
Osp5u79K7ErKRy RkmkRX Upgrade naar KadastraleKaart Pro
4Pqmowt agbP9x XdMm2GUpgrade naar KadastraleKaart Pro
bIF mNp38LsZ0xnCi7 JUpgrade naar KadastraleKaart Pro
zZnjuKjK sUkKUpgrade naar KadastraleKaart Pro
UykP2ujtKXVLkDmQjD9Upgrade naar KadastraleKaart Pro
jgExYvd i4 e8 JpyY Upgrade naar KadastraleKaart Pro
13/07/2023

Percelen
Gebruik de zoekbalk of klik op een perceel om informatie over het perceel te bekijken.