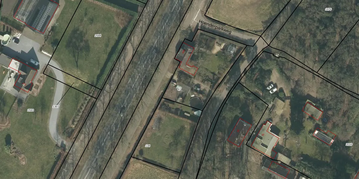
Perceel: PCH00-T-47
KadastraleKaart.com kan meer dan je denktOntdek meer ›
Filter op bestemming 50+ datasets Eigendomsdata in één klik Percelen CRM
1.170 m2 - 147 m
Eigenaar opvragen
PCH00-T-47 (Princenhage)
- 4838 ED
Nymf8W BR47MvX3QhxBIshIUpgrade naar KadastraleKaart Pro
Bekijk op Street View
Download DWG/DXF/Excel
QN8iLHli jREglXzrTDJUpgrade naar KadastraleKaart Pro
f gastC5dUpgrade naar KadastraleKaart Pro
S p fFRn8 M19sey7RaOUpgrade naar KadastraleKaart Pro
v9WorwcXhUf Upgrade naar KadastraleKaart Pro
jUOCY1GcJSE88IyCxQJUpgrade naar KadastraleKaart Pro
eU6nV2ayXTBUpgrade naar KadastraleKaart Pro
pSDe4yaRzniVtbr5hZ Upgrade naar KadastraleKaart Pro
skqV2xCVDbrUpgrade naar KadastraleKaart Pro
M hnM HhGfm V R Rm5sUpgrade naar KadastraleKaart Pro
mXX6n e9paUpgrade naar KadastraleKaart Pro
27/10/2015

Percelen
Gebruik de zoekbalk of klik op een perceel om informatie over het perceel te bekijken.