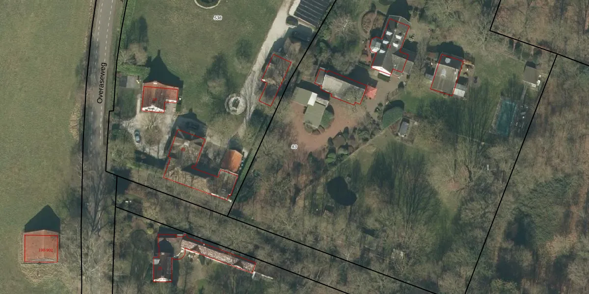
Perceel: PCH00-T-83
KadastraleKaart.com kan meer dan je denktOntdek meer ›
Filter op bestemming 50+ datasets Eigendomsdata in één klik Percelen CRM
9.640 m2 - 459 m
Eigenaar opvragen
PCH00-T-83 (Princenhage)
- 4836 BA
WQFHQCSqiy4Gz6VSzt0OlMUpgrade naar KadastraleKaart Pro
Bekijk op Street View
Download DWG/DXF/Excel
pjiVPXP0EOoQ7 vWgWQ3Upgrade naar KadastraleKaart Pro
UdjeP KBOJUpgrade naar KadastraleKaart Pro
x8l 3d TH1l4FQVx lplUZHUpgrade naar KadastraleKaart Pro
Kc70oZBS5Bn0OUpgrade naar KadastraleKaart Pro
fFbRDRrxcJ UUpgrade naar KadastraleKaart Pro
s UEv OiZQsz3bTkdUpgrade naar KadastraleKaart Pro
dLq2yn AZhqIwXXUpgrade naar KadastraleKaart Pro
jbMLHjHSQykLUpgrade naar KadastraleKaart Pro
Bdt lJSPVb1hbUpgrade naar KadastraleKaart Pro
GSs0aA8fyKCU3fEIP Upgrade naar KadastraleKaart Pro
28/11/2018

Percelen
Gebruik de zoekbalk of klik op een perceel om informatie over het perceel te bekijken.