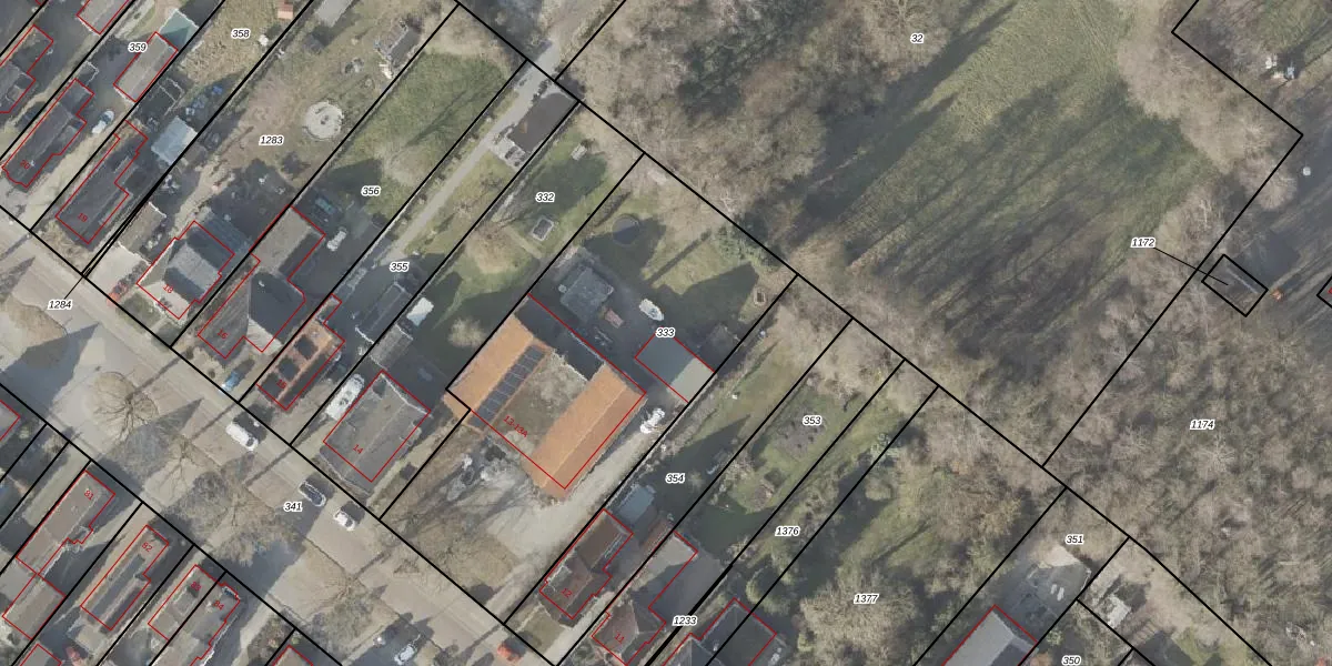
Perceel: PKL01-H-333
KadastraleKaart.com kan meer dan je denktOntdek meer ›
Filter op bestemming 50+ datasets Eigendomsdata in één klik Percelen CRM
1.868 m2 - 195 m
Eigenaar opvragen
PKL01-H-333 (Nieuwe Pekela)
- 9663 AJ
gN1mQjr5TNB56GknWQLg IJY GeUpgrade naar KadastraleKaart Pro
Verkoopprijs opvragen
Bekijk op Street View
Download DWG/DXF/Excel
HSc6yJziCVX GUpgrade naar KadastraleKaart Pro
9KeckT rN0xx VPAnx k J Upgrade naar KadastraleKaart Pro
mAAyVwjDae0Nbs2Upgrade naar KadastraleKaart Pro
e qtoD3MUpgrade naar KadastraleKaart Pro
mmA5S znpa70 FoUpgrade naar KadastraleKaart Pro
Am c 9A DQUpgrade naar KadastraleKaart Pro
c R9iwlqfB69ODmWYPkgaUUpgrade naar KadastraleKaart Pro
FpKqWdrB3UR3e nUpgrade naar KadastraleKaart Pro
Ws WXpWkc771 RBemJALiUpgrade naar KadastraleKaart Pro
c Sd9PPSe4JhKkigaP52Upgrade naar KadastraleKaart Pro
14/11/1997

Percelen
Gebruik de zoekbalk of klik op een perceel om informatie over het perceel te bekijken.