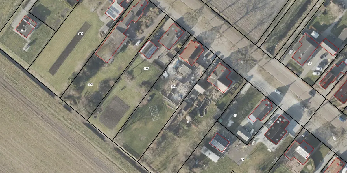
Perceel: PKL01-H-386
KadastraleKaart.com kan meer dan je denktOntdek meer ›
Filter op bestemming 50+ datasets Eigendomsdata in één klik Percelen CRM
1.467 m2 - 191 m
Eigenaar opvragen
PKL01-H-386 (Nieuwe Pekela)
- 9663 AM
m Ss RtiAY7vttGSpIRruA7loQ4tUpgrade naar KadastraleKaart Pro
Verkoopprijs opvragen
Bekijk op Street View
Download DWG/DXF/Excel
mFKy9E4IUpgrade naar KadastraleKaart Pro
MgmClPlaAVkpa t BEKUpgrade naar KadastraleKaart Pro
HBv6shF86sLqUpgrade naar KadastraleKaart Pro
7nSiv9 Zv0IEzRNAUpgrade naar KadastraleKaart Pro
Tna7iVbEX9c5WwVbKX Upgrade naar KadastraleKaart Pro
qv1Hek Q4BwUpgrade naar KadastraleKaart Pro
6oOckge5KVsb6W5TUpgrade naar KadastraleKaart Pro
RTlK X4a6WUpgrade naar KadastraleKaart Pro
Pev hI 4EhQaU1Upgrade naar KadastraleKaart Pro
YufsaRkvDE3Upgrade naar KadastraleKaart Pro
14/11/1997

Percelen
Gebruik de zoekbalk of klik op een perceel om informatie over het perceel te bekijken.