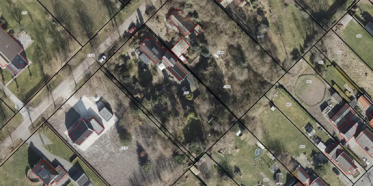
Perceel: PKL01-H-648
KadastraleKaart.com kan meer dan je denktOntdek meer ›
Filter op bestemming 50+ datasets Eigendomsdata in één klik Percelen CRM
2.200 m2 - 207 m
Eigenaar opvragen
PKL01-H-648 (Nieuwe Pekela)
- 9663 TT
tf4VKESs3ANBQW35J6 RL00wkCdadBcUpgrade naar KadastraleKaart Pro
Verkoopprijs opvragen
Bekijk op Street View
Download DWG/DXF/Excel
7kSDzvk5rIxrD7krV7fUpgrade naar KadastraleKaart Pro
zipwpNNF4Upgrade naar KadastraleKaart Pro
HIHTn7rvCY0G ZR zdntUpgrade naar KadastraleKaart Pro
CEb0iEQPPootUpgrade naar KadastraleKaart Pro
EjPL4Tu7Upgrade naar KadastraleKaart Pro
MBxUYmkskJZUw58NUpgrade naar KadastraleKaart Pro
ciieEExi92WUpgrade naar KadastraleKaart Pro
dA IRYfAp QPbUpgrade naar KadastraleKaart Pro
lOTXbp8BVd0k H3eLUpgrade naar KadastraleKaart Pro
gPHamvZC vj9 pdGuUpgrade naar KadastraleKaart Pro
02/10/2007

Percelen
Gebruik de zoekbalk of klik op een perceel om informatie over het perceel te bekijken.