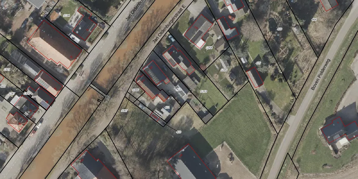
Perceel: PKL01-I-412
KadastraleKaart.com kan meer dan je denktOntdek meer ›
Filter op bestemming 50+ datasets Eigendomsdata in één klik Percelen CRM
468 m2 - 125 m
Eigenaar opvragen
PKL01-I-412 (Nieuwe Pekela)
- 9663 RX
2wDpGf7WhxFFKg9g4IhADx 6dqSUpgrade naar KadastraleKaart Pro
Verkoopprijs opvragen
Bekijk op Street View
Download DWG/DXF/Excel
7eQAS VpfrBUpgrade naar KadastraleKaart Pro
2nu J 4p8wUpgrade naar KadastraleKaart Pro
4OWtV4i9Hd yHyUpgrade naar KadastraleKaart Pro
oED8aqncRpclUpgrade naar KadastraleKaart Pro
lb9jQ tHf7mWUpgrade naar KadastraleKaart Pro
KgfzTW tzjRX r qYUpgrade naar KadastraleKaart Pro
QNjlH4SYcE53 Upgrade naar KadastraleKaart Pro
gz8RBNqwgPik8 wcU8 Upgrade naar KadastraleKaart Pro
NGHIVPfXUpgrade naar KadastraleKaart Pro
ZEpimbkmUpgrade naar KadastraleKaart Pro
14/11/1997

Percelen
Gebruik de zoekbalk of klik op een perceel om informatie over het perceel te bekijken.