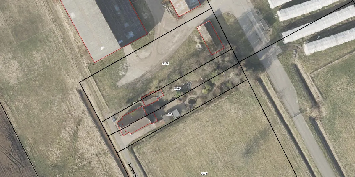
Perceel: PKL02-B-2394
KadastraleKaart.com kan meer dan je denktOntdek meer ›
Filter op bestemming 50+ datasets Eigendomsdata in één klik Percelen CRM
766 m2 - 188 m
Eigenaar opvragen
PKL02-B-2394 (Oude Pekela)
- 9665 BP
qNVUN q 3pZMn E f fOlUpgrade naar KadastraleKaart Pro
Bekijk op Street View
Download DWG/DXF/Excel
hXvF8KA8Hk6Q8 a8EF248ajUpgrade naar KadastraleKaart Pro
Obk73A5hS1D0Nc2Upgrade naar KadastraleKaart Pro
FZRI gVafS6u3tUpgrade naar KadastraleKaart Pro
CkIjCP7HRL5HUpgrade naar KadastraleKaart Pro
JrRNXBCGy1 lBepy2slUpgrade naar KadastraleKaart Pro
JGHuq6RatK knmfY8oUpgrade naar KadastraleKaart Pro
geO0R8odUpgrade naar KadastraleKaart Pro
4MBnwc8z1Upgrade naar KadastraleKaart Pro
C1m57UAhL wblFUpgrade naar KadastraleKaart Pro
E8wlPSXUgjpJ2v5HEbwg Upgrade naar KadastraleKaart Pro
17/10/2002

Percelen
Gebruik de zoekbalk of klik op een perceel om informatie over het perceel te bekijken.