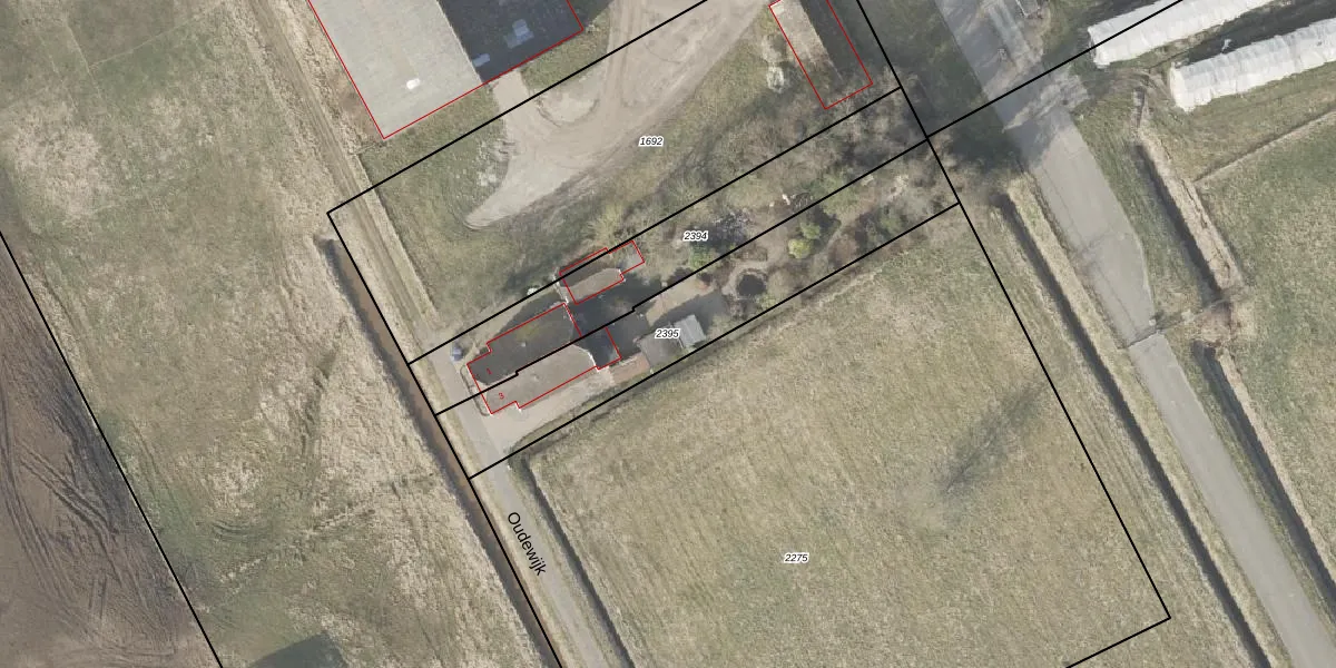
Perceel: PKL02-B-2395
KadastraleKaart.com kan meer dan je denktOntdek meer ›
Filter op bestemming 50+ datasets Eigendomsdata in één klik Percelen CRM
874 m2 - 191 m
Eigenaar opvragen
PKL02-B-2395 (Oude Pekela)
- 9665 BP
AR8L3 Kt7Jz1 T1 AyQRnt FU4pUpgrade naar KadastraleKaart Pro
Bekijk op Street View
Download DWG/DXF/Excel
no OWwlt1Z8iG8YNUpgrade naar KadastraleKaart Pro
F0Ipcd XUpgrade naar KadastraleKaart Pro
CQ3v qpi6BqDlC 3 AQUpgrade naar KadastraleKaart Pro
Oc9IUAA wUpgrade naar KadastraleKaart Pro
raN JV8 BUpgrade naar KadastraleKaart Pro
cGyIy6nPvDCPw pCugKKUpgrade naar KadastraleKaart Pro
D0ewDAugjrbgUbhd3iu9nUpgrade naar KadastraleKaart Pro
WahDQOQjjttn8BKsw05s Upgrade naar KadastraleKaart Pro
iqeMDD0m9F4kS 88mQX6Upgrade naar KadastraleKaart Pro
cQQcQvY4RrGxpomlkzP lUpgrade naar KadastraleKaart Pro
17/10/2002

Percelen
Gebruik de zoekbalk of klik op een perceel om informatie over het perceel te bekijken.