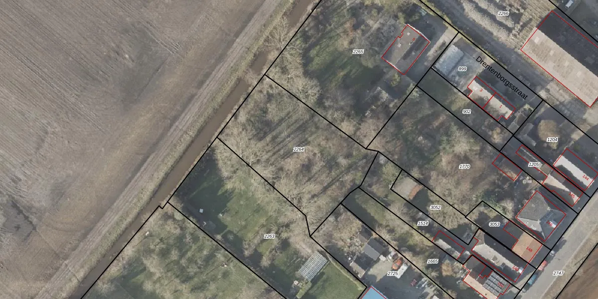
Perceel: PKL02-D-2264
KadastraleKaart.com kan meer dan je denktOntdek meer ›
Filter op bestemming 50+ datasets Eigendomsdata in één klik Percelen CRM
Geen adressen bij dit perceel
1.345 m2 - 156 m
Eigenaar opvragen
PKL02-D-2264 (Oude Pekela)
- Geen postcode aanwezig
cxINfoRvk4j4XA FHyg Upgrade naar KadastraleKaart Pro
Bekijk op Street View
Download DWG/DXF/Excel
gH4ob21S VJI71Upgrade naar KadastraleKaart Pro
j5rNohfOd7c81 0f6 dNLUpgrade naar KadastraleKaart Pro
VliGOikq bLRK3GFa0TIuFUpgrade naar KadastraleKaart Pro
3 N5lvvIPpSlSUpgrade naar KadastraleKaart Pro
gclafP trTeerUSITUpgrade naar KadastraleKaart Pro
7wtuNbnN P D sUpgrade naar KadastraleKaart Pro
xPwfE wwhxDEM 084uGYl1YUpgrade naar KadastraleKaart Pro
UcyI7WS0W62fPS1Upgrade naar KadastraleKaart Pro
ArNoBPHk6PRDkea7qsUpgrade naar KadastraleKaart Pro
qDj4fq03zOvE9lvUpgrade naar KadastraleKaart Pro
14/11/1997

Percelen
Gebruik de zoekbalk of klik op een perceel om informatie over het perceel te bekijken.