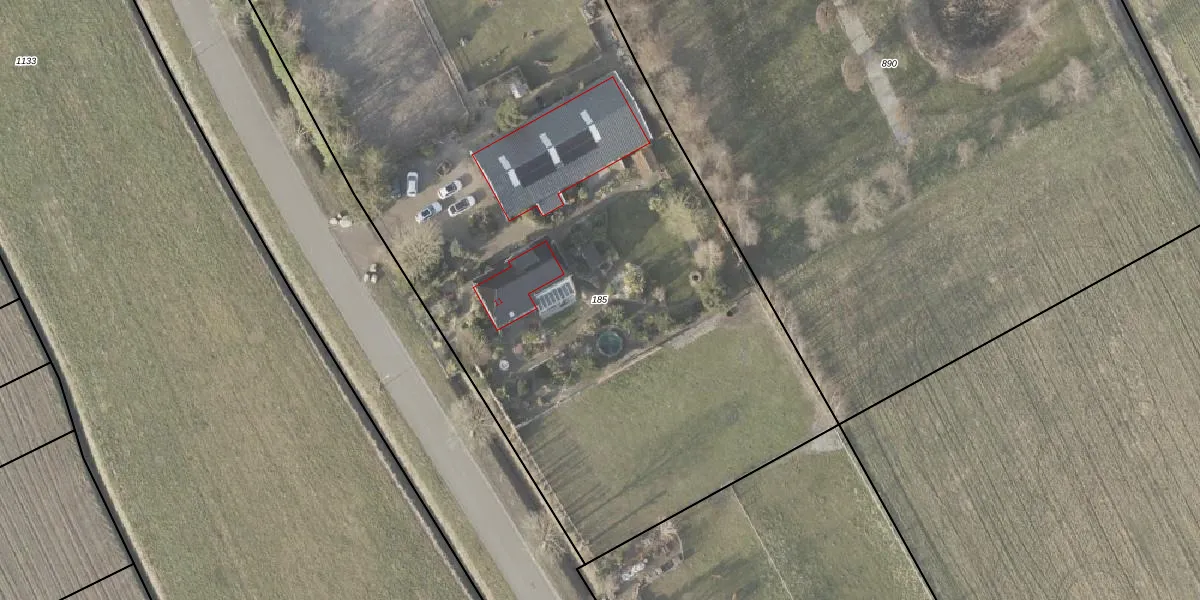
Perceel: PKL02-E-185
KadastraleKaart.com kan meer dan je denktOntdek meer ›
Filter op bestemming 50+ datasets Eigendomsdata in één klik Percelen CRM
5.735 m2 - 322 m
Eigenaar opvragen
PKL02-E-185 (Oude Pekela)
- 9665 BS
pZMi66Na 8d2CVJ7CyKXcZHbUpgrade naar KadastraleKaart Pro
Verkoopprijs opvragen
Bekijk op Street View
Download DWG/DXF/Excel
09FfFr0QUpgrade naar KadastraleKaart Pro
yWMYFVG0gLXS5oDW Rok zUpgrade naar KadastraleKaart Pro
VLP HhaTAUpgrade naar KadastraleKaart Pro
FH8RDEOjkNCoRtoUpgrade naar KadastraleKaart Pro
h5TKDQ x Upgrade naar KadastraleKaart Pro
voDD6NtMQgQUpgrade naar KadastraleKaart Pro
RoqTfCIL dMcVUpgrade naar KadastraleKaart Pro
Z9Pehau9DdP96HUpgrade naar KadastraleKaart Pro
1 kpns0QUpgrade naar KadastraleKaart Pro
hgmEnC3cSYbY8O CUpgrade naar KadastraleKaart Pro
18/11/2003

Percelen
Gebruik de zoekbalk of klik op een perceel om informatie over het perceel te bekijken.