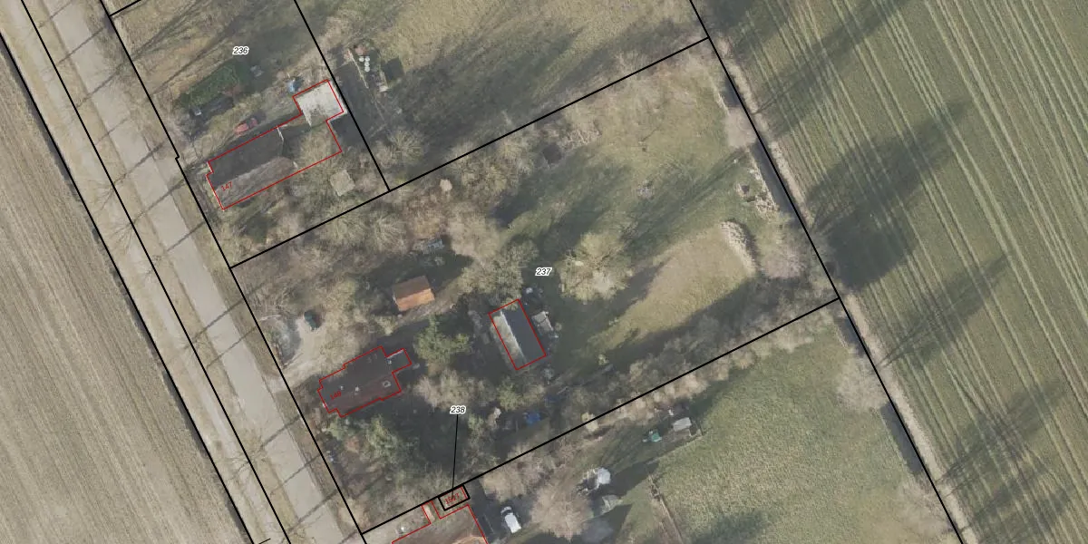
Perceel: PKL02-E-237
KadastraleKaart.com kan meer dan je denktOntdek meer ›
Filter op bestemming 50+ datasets Eigendomsdata in één klik Percelen CRM
5.270 m2 - 304 m
Eigenaar opvragen
PKL02-E-237 (Oude Pekela)
- 9665 JP
dtehe6WevPOsa1jU1 FEBYUpgrade naar KadastraleKaart Pro
Verkoopprijs opvragen
Bekijk op Street View
Download DWG/DXF/Excel
fC7xIgvPgy r4Upgrade naar KadastraleKaart Pro
NyRDP8 GMatBAwnB35wXdyLUpgrade naar KadastraleKaart Pro
bCf0SzW5xl9r5Upgrade naar KadastraleKaart Pro
nQ6 Rc ym2duMrUpgrade naar KadastraleKaart Pro
WeYu Dto1MPz5GbnY dHUpgrade naar KadastraleKaart Pro
afL7ABT1Z6 7NrOl3elRUpgrade naar KadastraleKaart Pro
3fSinwRI5gsZz6lLX Upgrade naar KadastraleKaart Pro
D4VJpIreDYSe jKO2m1tDUpgrade naar KadastraleKaart Pro
3NHU4JtsxO0vV bNJMTnUpgrade naar KadastraleKaart Pro
zj P5ULqNCdtpcKcUpgrade naar KadastraleKaart Pro
05/09/2025

Percelen
Gebruik de zoekbalk of klik op een perceel om informatie over het perceel te bekijken.