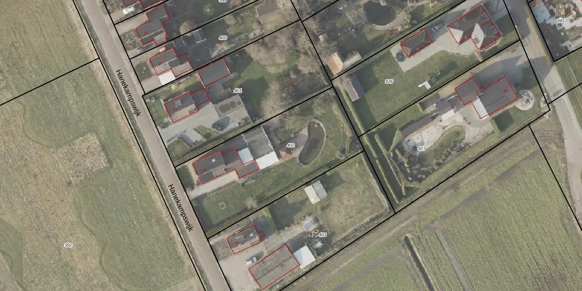
Perceel: PKL02-E-402
KadastraleKaart.com kan meer dan je denktOntdek meer ›
Filter op bestemming 50+ datasets Eigendomsdata in één klik Percelen CRM
1.580 m2 - 175 m
Eigenaar opvragen
PKL02-E-402 (Oude Pekela)
- 9665 RK
H5LwHLIhWHpZrF22RwDrCzVd3FIXUpgrade naar KadastraleKaart Pro
Verkoopprijs opvragen
Bekijk op Street View
Download DWG/DXF/Excel
BgSj WU6PSCUpgrade naar KadastraleKaart Pro
IKBkIAR6Ghe2nyJUpgrade naar KadastraleKaart Pro
W02T0uSCAuAZ9ttUpgrade naar KadastraleKaart Pro
g 7qvf6D4IBRUpgrade naar KadastraleKaart Pro
VNJVfNcaztyUpgrade naar KadastraleKaart Pro
7Ihx K2vS r21ab 7iKUpgrade naar KadastraleKaart Pro
QODMiSgXiCCpQuAWFvwHUpgrade naar KadastraleKaart Pro
4kmFkEq4xgIatqUpgrade naar KadastraleKaart Pro
YfJsYgf71NFluBv0Upgrade naar KadastraleKaart Pro
upcZkP pa jHNzQUpgrade naar KadastraleKaart Pro
08/12/2005

Percelen
Gebruik de zoekbalk of klik op een perceel om informatie over het perceel te bekijken.