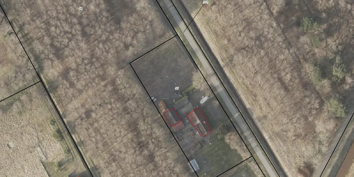
Perceel: PKL02-E-55
KadastraleKaart.com kan meer dan je denktOntdek meer ›
Filter op bestemming 50+ datasets Eigendomsdata in één klik Percelen CRM
2.565 m2 - 225 m
Eigenaar opvragen
PKL02-E-55 (Oude Pekela)
- 9665 AZ
B1pKIXiHx3 6q Ka5kVfpNb7v9ob32mUpgrade naar KadastraleKaart Pro
Bekijk op Street View
Download DWG/DXF/Excel
WqQLI Wqtixl TUpgrade naar KadastraleKaart Pro
9xva9n87 yB1MU1Ltn9UVUpgrade naar KadastraleKaart Pro
Gm8QNmMXUpgrade naar KadastraleKaart Pro
KN2O97Ji fUAL2LnUpgrade naar KadastraleKaart Pro
cbk69BZ9Z5vs SZDW7PDtUpgrade naar KadastraleKaart Pro
uHsT242GDJOg93Upgrade naar KadastraleKaart Pro
8f7LkP58WpfhjzNnLYlB BOUpgrade naar KadastraleKaart Pro
bMLERIa7T TQpSd5Upgrade naar KadastraleKaart Pro
sP b2QWSTOUUpgrade naar KadastraleKaart Pro
xavILx3 bDaBUpgrade naar KadastraleKaart Pro
14/11/1997

Percelen
Gebruik de zoekbalk of klik op een perceel om informatie over het perceel te bekijken.