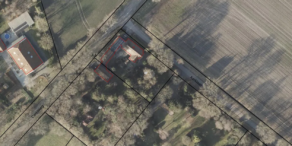
Perceel: PKL02-F-27
KadastraleKaart.com kan meer dan je denktOntdek meer ›
Filter op bestemming 50+ datasets Eigendomsdata in één klik Percelen CRM
1.290 m2 - 150 m
Eigenaar opvragen
PKL02-F-27 (Oude Pekela)
- 9665 PA
EKwsBqLvJrJGrXkEDRoCr0ApobUpgrade naar KadastraleKaart Pro
Verkoopprijs opvragen
Bekijk op Street View
Download DWG/DXF/Excel
LN8bUIVq3 jRUI dj M73w3Upgrade naar KadastraleKaart Pro
MFDTdlVyKUpgrade naar KadastraleKaart Pro
d2ukEfFjb7FuBnKoUpgrade naar KadastraleKaart Pro
3NLbZPvgUpgrade naar KadastraleKaart Pro
3PlRQc789Ib Upgrade naar KadastraleKaart Pro
GhWmnDxdhM JzXS8Upgrade naar KadastraleKaart Pro
BhFPhhpKmNnUUpgrade naar KadastraleKaart Pro
Ya9c6cLdUpgrade naar KadastraleKaart Pro
Om01OYfhCyvwks8xhhqUpgrade naar KadastraleKaart Pro
obh7R0JHTC7 Upgrade naar KadastraleKaart Pro
08/11/2005

Percelen
Gebruik de zoekbalk of klik op een perceel om informatie over het perceel te bekijken.