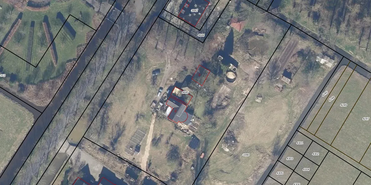
Perceel: PMR00-H-4645
KadastraleKaart.com kan meer dan je denktOntdek meer ›
Filter op bestemming 50+ datasets Eigendomsdata in één klik Percelen CRM
6.004 m2 - 345 m
Eigenaar opvragen
PMR00-H-4645 (Purmerend)
- 1447 AB
wnzMq3ynt5PsxV91iJXbuMr1Upgrade naar KadastraleKaart Pro
Bekijk op Street View
Download DWG/DXF/Excel
CwoNdw14KnX0 4Upgrade naar KadastraleKaart Pro
29jBG3xxdlZUpgrade naar KadastraleKaart Pro
gSueyAg9ZUpgrade naar KadastraleKaart Pro
EruZD aqUAACx9Upgrade naar KadastraleKaart Pro
llnI 5IyHcI olrtmUpgrade naar KadastraleKaart Pro
37YaNBjyPJ4Upgrade naar KadastraleKaart Pro
uPZwz qGUatRt nYjZMUpgrade naar KadastraleKaart Pro
dKGzFgDRl9sz Rm8Upgrade naar KadastraleKaart Pro
Ipvzdg6X7OqvFMJIiUpgrade naar KadastraleKaart Pro
6fBnLan iB8MuQZBElUpgrade naar KadastraleKaart Pro
20/08/2018

Percelen
Gebruik de zoekbalk of klik op een perceel om informatie over het perceel te bekijken.