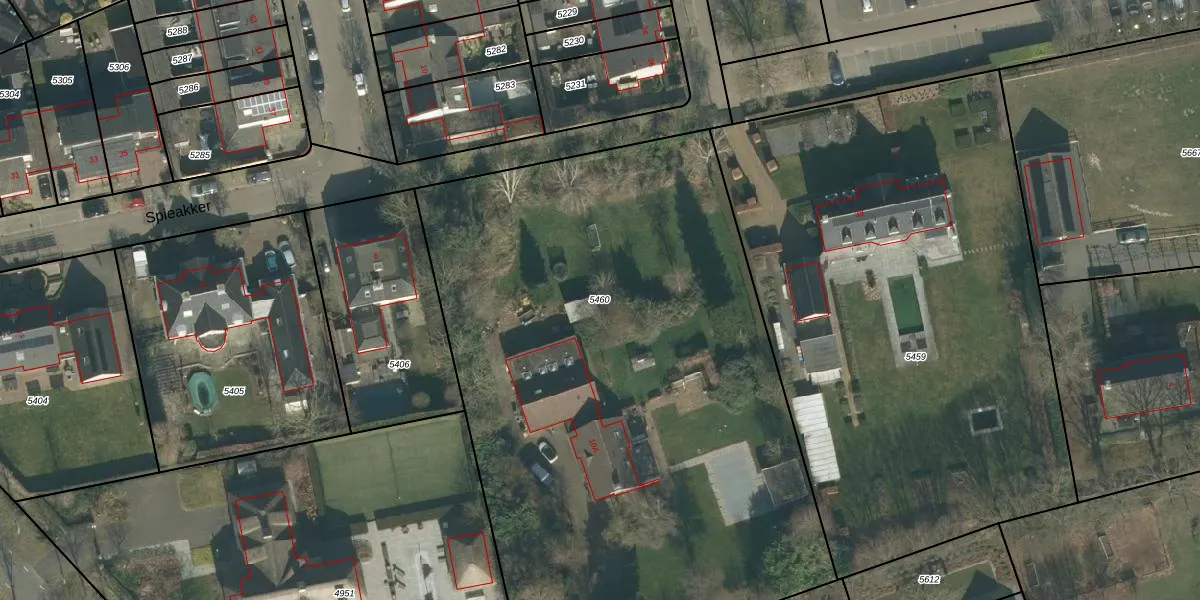
Perceel: PSB00-E-5460
KadastraleKaart.com kan meer dan je denktOntdek meer ›
Filter op bestemming 50+ datasets Eigendomsdata in één klik Percelen CRM
4.280 m2 - 268 m
Eigenaar opvragen
PSB00-E-5460 (Prinsenbeek)
- 4841 EB
T7buxVkCDVV10hx pr JbCGR71hmQzUpgrade naar KadastraleKaart Pro
Bekijk op Street View
Download DWG/DXF/Excel
30cVi9q Upgrade naar KadastraleKaart Pro
2d9CQdBAJo3HEUpgrade naar KadastraleKaart Pro
qWs5RsKsvUUpgrade naar KadastraleKaart Pro
fV5gq QAA3MXwHKXUpgrade naar KadastraleKaart Pro
exKyrRNcJooUpgrade naar KadastraleKaart Pro
hg4 WERwRFLLlxLLt9QIUpgrade naar KadastraleKaart Pro
kpEQ2PPYjBC0pR r HSIPUpgrade naar KadastraleKaart Pro
XZKhF52P j8Y0 YUqQ0r6dIUpgrade naar KadastraleKaart Pro
YbEQoiu0KXzQxcUpgrade naar KadastraleKaart Pro
Ea 7kDi89gxn 8JhcUpgrade naar KadastraleKaart Pro
25/05/2007

Percelen
Gebruik de zoekbalk of klik op een perceel om informatie over het perceel te bekijken.