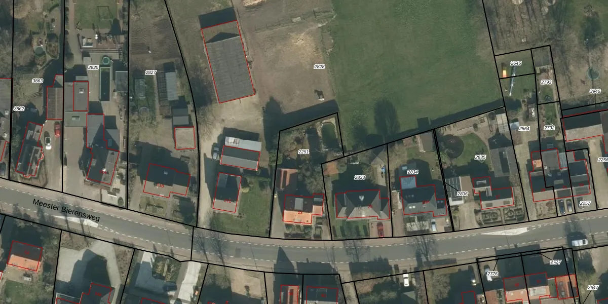
Perceel: PSB00-F-2251
KadastraleKaart.com kan meer dan je denktOntdek meer ›
Filter op bestemming 50+ datasets Eigendomsdata in één klik Percelen CRM
716 m2 - 124 m
Eigenaar opvragen
PSB00-F-2251 (Prinsenbeek)
- 4841 AJ
4HIVk kUalWTXa24gtIwt DwEfygVQUpgrade naar KadastraleKaart Pro
Verkoopprijs opvragen
Bekijk op Street View
Download DWG/DXF/Excel
TI1F3o9jl4rZoaUpgrade naar KadastraleKaart Pro
oVCRki91ejAkNUSyUpgrade naar KadastraleKaart Pro
NTrQdrfTSUpgrade naar KadastraleKaart Pro
2CCrjz HD06hBIzeUpgrade naar KadastraleKaart Pro
VYsRr bV5gBH0qujUJnnbUpgrade naar KadastraleKaart Pro
igjsrJz4Upgrade naar KadastraleKaart Pro
dfhU aqtvQ8p8oLg5 em2 Upgrade naar KadastraleKaart Pro
NVvlH L8 2Gb0 RUpgrade naar KadastraleKaart Pro
zcU wb5MsRLEUpgrade naar KadastraleKaart Pro
3H75 jnJ cVMvNthHbUpgrade naar KadastraleKaart Pro
07/07/2009

Percelen
Gebruik de zoekbalk of klik op een perceel om informatie over het perceel te bekijken.