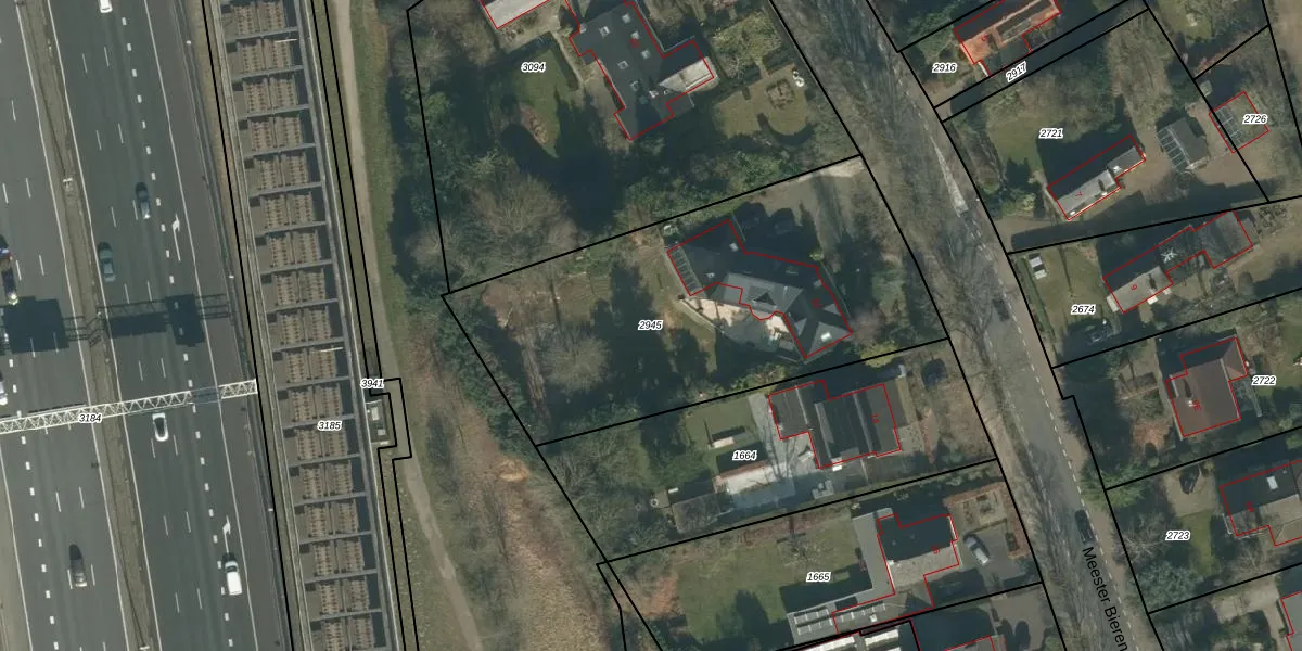
Perceel: PSB00-F-2945
KadastraleKaart.com kan meer dan je denktOntdek meer ›
Filter op bestemming 50+ datasets Eigendomsdata in één klik Percelen CRM
1.915 m2 - 192 m
Eigenaar opvragen
PSB00-F-2945 (Prinsenbeek)
- 4841 AK
k6TUCA3lZtrEzAFOUpgrade naar KadastraleKaart Pro
Verkoopprijs opvragen
Bekijk op Street View
Download DWG/DXF/Excel
E6 Lw7 rUpgrade naar KadastraleKaart Pro
06lRs1Us I Hs7Upgrade naar KadastraleKaart Pro
Iv0 ZVzgUpgrade naar KadastraleKaart Pro
g5QvYFS2r10Upgrade naar KadastraleKaart Pro
NHPt Br3GQWNBYgwHb77lBUpgrade naar KadastraleKaart Pro
L 4K6V8YqNUpgrade naar KadastraleKaart Pro
I0RQ6xKyCcXYTWELnG3Upgrade naar KadastraleKaart Pro
f5BSLLLn plUpgrade naar KadastraleKaart Pro
2MUILni8s2ZwxHUpgrade naar KadastraleKaart Pro
IldbH0zsqEfo9 u2IUpgrade naar KadastraleKaart Pro
01/07/2009

Percelen
Gebruik de zoekbalk of klik op een perceel om informatie over het perceel te bekijken.