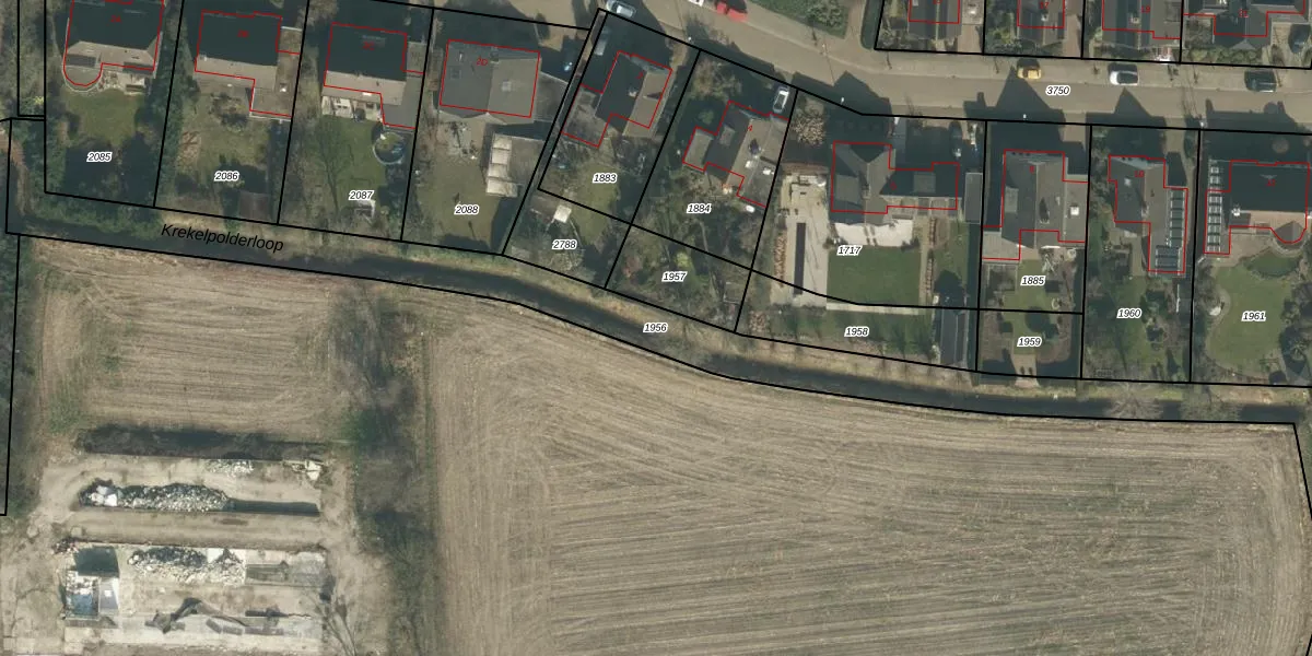
Perceel: PSB00-H-1956
Geen adressen bij dit perceel
2.065 m2 - 704 m
Eigenaar opvragen
PSB00-H-1956 (Prinsenbeek)
- Geen postcode aanwezig
nj4kvMtfnpF L5wnUpgrade naar KadastraleKaart Pro
Bekijk op Street View
Download DWG/DXF/Excel
QFQ7G2 dT3dsB ZUF I0ZvNUpgrade naar KadastraleKaart Pro
uE1eKikwCctzUpgrade naar KadastraleKaart Pro
Wt1rZBcjSEFgSlvXUpgrade naar KadastraleKaart Pro
5hOYOk4nYUt2sUpgrade naar KadastraleKaart Pro
BWzb9y4OR WUpgrade naar KadastraleKaart Pro
Nv1n1mm48jQyt4qp2K1Upgrade naar KadastraleKaart Pro
Qe8kmyOzycfA3yK6Upgrade naar KadastraleKaart Pro
b6 4Y9245kUuzpeUpgrade naar KadastraleKaart Pro
LSxl 4nVeO sk UNORXiaXUpgrade naar KadastraleKaart Pro
7BFdGfQY Upgrade naar KadastraleKaart Pro
01/09/2006

Percelen
Gebruik de zoekbalk of klik op een perceel om informatie over het perceel te bekijken.