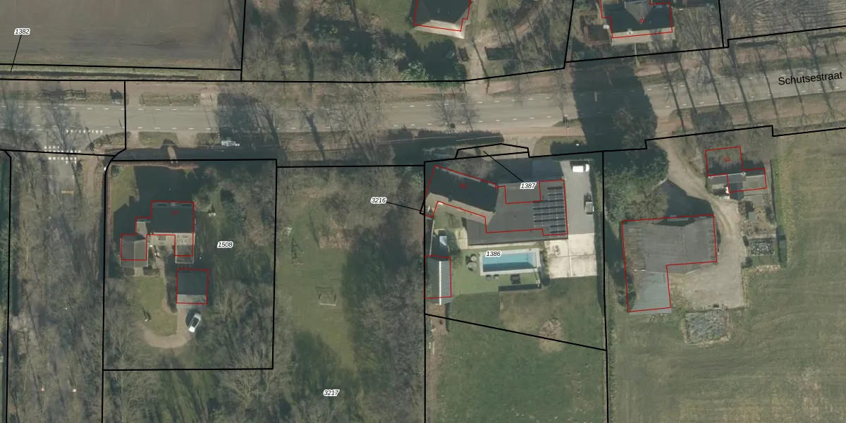
Perceel: PSB00-H-3216
Geen adressen bij dit perceel
3 m2 - 8 m
Eigenaar opvragen
PSB00-H-3216 (Prinsenbeek)
- Geen postcode aanwezig
tmesEC Q7QEEdLsAuvniQaWyHoUpgrade naar KadastraleKaart Pro
Bekijk op Street View
Download DWG/DXF/Excel
FY4ueAKOWyIQdhGnA6TslUpgrade naar KadastraleKaart Pro
7t P4j64oUpgrade naar KadastraleKaart Pro
er3wCfKmcrqTx3Upgrade naar KadastraleKaart Pro
r1326PN5ktf 4XpYfUpgrade naar KadastraleKaart Pro
qmNAvZ2w eibZ Gma5Upgrade naar KadastraleKaart Pro
Tj8n6wL aUpgrade naar KadastraleKaart Pro
F4sUbczLq0EEUpgrade naar KadastraleKaart Pro
zV x EFIN2BXC 47ylig82Upgrade naar KadastraleKaart Pro
Ke9Avr2l5YULU jy2B6Upgrade naar KadastraleKaart Pro
e9pRsm JK 6Upgrade naar KadastraleKaart Pro
11/12/2009

Percelen
Gebruik de zoekbalk of klik op een perceel om informatie over het perceel te bekijken.