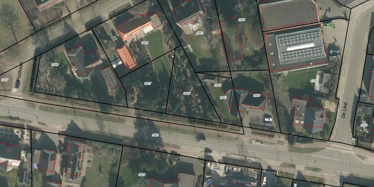
Perceel: PSB00-H-3826
KadastraleKaart.com kan meer dan je denktOntdek meer ›
Filter op bestemming 50+ datasets Eigendomsdata in één klik Percelen CRM
Geen adressen bij dit perceel
614 m2 - 116 m
Eigenaar opvragen
PSB00-H-3826 (Prinsenbeek)
- Geen postcode aanwezig
gpDJIUQKPXXJkpC7p kUpgrade naar KadastraleKaart Pro
Bekijk op Street View
Download DWG/DXF/Excel
xxs KUGQhoEpWUpgrade naar KadastraleKaart Pro
GrQ1 n5mdOCC1gxBUpgrade naar KadastraleKaart Pro
R9gbzdbJAIu2kFzpHozNoSLUpgrade naar KadastraleKaart Pro
fnPhRVDt8qzWUpgrade naar KadastraleKaart Pro
MOlkudXNe4fKKb d5HUpgrade naar KadastraleKaart Pro
sIhtUDun88 b H2Ab8Upgrade naar KadastraleKaart Pro
vSQ vQWPn6nQ 3jpwqQxUpgrade naar KadastraleKaart Pro
leSbpx24ew5P1y0Upgrade naar KadastraleKaart Pro
DCtjzxanvPnUyS4 7APkW5Upgrade naar KadastraleKaart Pro
j rWYXFHHAnd9hPYM1Upgrade naar KadastraleKaart Pro
11/12/2025

Percelen
Gebruik de zoekbalk of klik op een perceel om informatie over het perceel te bekijken.