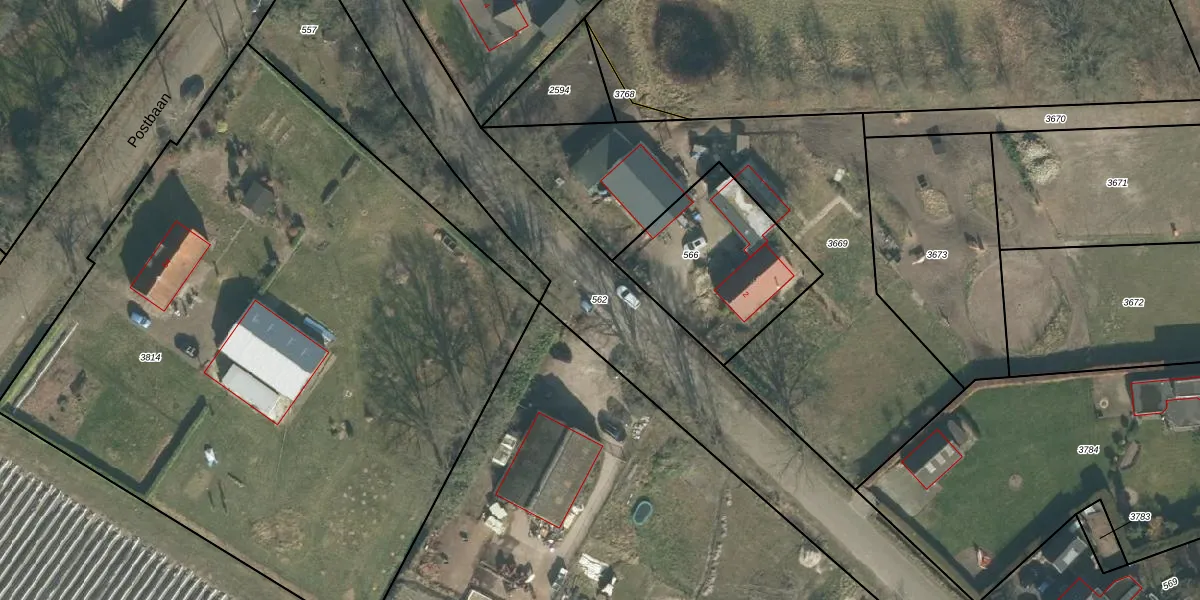
Perceel: PSB00-H-562
KadastraleKaart.com kan meer dan je denktOntdek meer ›
Filter op bestemming 50+ datasets Eigendomsdata in één klik Percelen CRM
Geen adressen bij dit perceel
2.410 m2 - 527 m
Eigenaar opvragen
PSB00-H-562 (Prinsenbeek)
- Geen postcode aanwezig
voddkFxb7waISqbZ D lzMLfub0ieUpgrade naar KadastraleKaart Pro
Bekijk op Street View
Download DWG/DXF/Excel
benZb4PrvKP T Upgrade naar KadastraleKaart Pro
jROqLyphQUpgrade naar KadastraleKaart Pro
mP7iSrnz54 IQyUpgrade naar KadastraleKaart Pro
asmTMqZq1Upgrade naar KadastraleKaart Pro
JMYm0C7Q7 6XJOHrNUpgrade naar KadastraleKaart Pro
tSdqErwwjJzBjVb3TERcwUpgrade naar KadastraleKaart Pro
LWMWPn0 ioqsUpgrade naar KadastraleKaart Pro
bKCMByPx Ja rSTyUpgrade naar KadastraleKaart Pro
8BASTJlzliFb ilfGaUpgrade naar KadastraleKaart Pro
oGDq1JQEESGtJUpgrade naar KadastraleKaart Pro
13/03/2007

Percelen
Gebruik de zoekbalk of klik op een perceel om informatie over het perceel te bekijken.