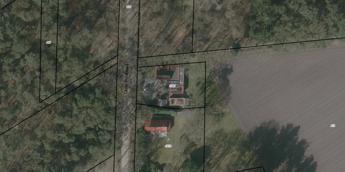
Perceel: PTE00-A-1083
KadastraleKaart.com kan meer dan je denktOntdek meer ›
Filter op bestemming 50+ datasets Eigendomsdata in één klik Percelen CRM
983 m2 - 127 m
Eigenaar opvragen
PTE00-A-1083 (Putte)
- 4645 RM
xyJm1 53lmaS20zztE PpfImmiUpgrade naar KadastraleKaart Pro
Verkoopprijs opvragen
Bekijk op Street View
Download DWG/DXF/Excel
sfJteejiUpgrade naar KadastraleKaart Pro
wadLlDom5ALkUVVB2Upgrade naar KadastraleKaart Pro
ZBOcG7jHXY7gkUpgrade naar KadastraleKaart Pro
PgAmtHiPUpgrade naar KadastraleKaart Pro
j6W4aAFju8 Dd ILUpgrade naar KadastraleKaart Pro
n JY8Eh DYTlZfp2iUVp Upgrade naar KadastraleKaart Pro
zVC 6Wk3pnPWkVZC6f Upgrade naar KadastraleKaart Pro
rTg6 p6Midva6l0Upgrade naar KadastraleKaart Pro
LkbevIFXKHFyeQO 4O8OkEHUpgrade naar KadastraleKaart Pro
b8NeqGL r9ZXUpgrade naar KadastraleKaart Pro
17/12/2020

Percelen
Gebruik de zoekbalk of klik op een perceel om informatie over het perceel te bekijken.