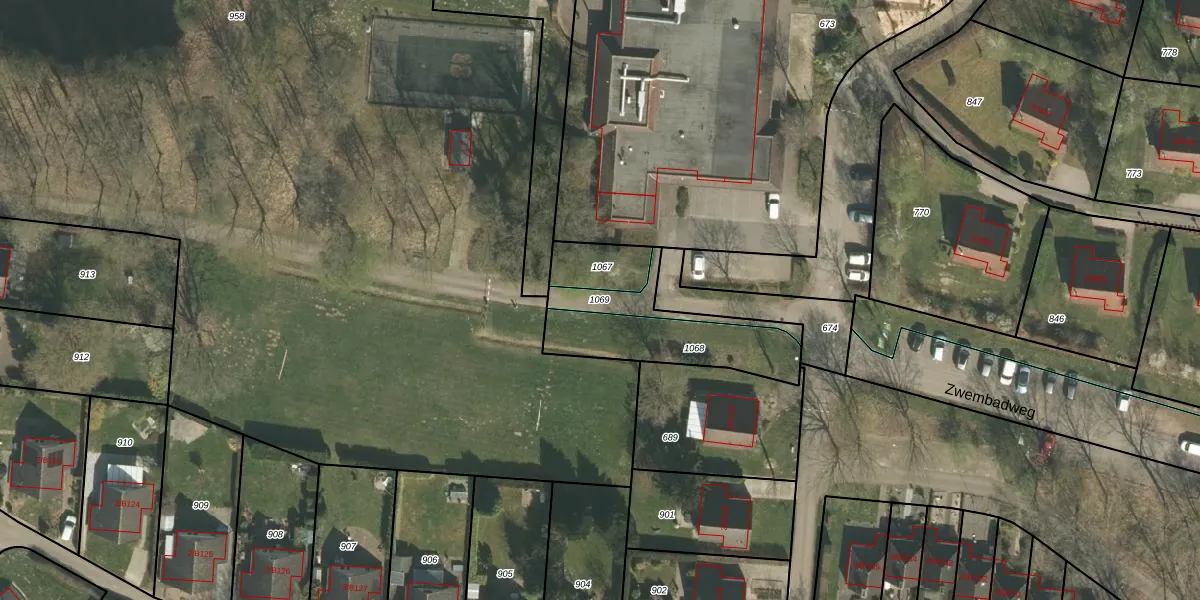
Perceel: PTH02-G-1069
KadastraleKaart.com kan meer dan je denktOntdek meer ›
Filter op bestemming 50+ datasets Eigendomsdata in één klik Percelen CRM
Geen adressen bij dit perceel
112 m2 - 112 m
Eigenaar opvragen
PTH02-G-1069 (Posterholt)
- Geen postcode aanwezig
rNL q0GUT8j 3WOBzm9wEWBT3rK 7Upgrade naar KadastraleKaart Pro
Bekijk op Street View
Download DWG/DXF/Excel
oE024Cq oUpgrade naar KadastraleKaart Pro
mb2JOwWtAqSMGBUpgrade naar KadastraleKaart Pro
nGj IpiaJ 45cYUpgrade naar KadastraleKaart Pro
NRPv9a2WTUpgrade naar KadastraleKaart Pro
A5Y JxRipo vQDxUpgrade naar KadastraleKaart Pro
PD4eXvlGj7HLtY i39IE 6UUpgrade naar KadastraleKaart Pro
wKoZu6Bp GygqB2Upgrade naar KadastraleKaart Pro
QQ4Mpp 2rfoH8Upgrade naar KadastraleKaart Pro
WnSyaxzQnO5k Upgrade naar KadastraleKaart Pro
vH2lsUBKeIMUpgrade naar KadastraleKaart Pro
27/03/2015

Percelen
Gebruik de zoekbalk of klik op een perceel om informatie over het perceel te bekijken.