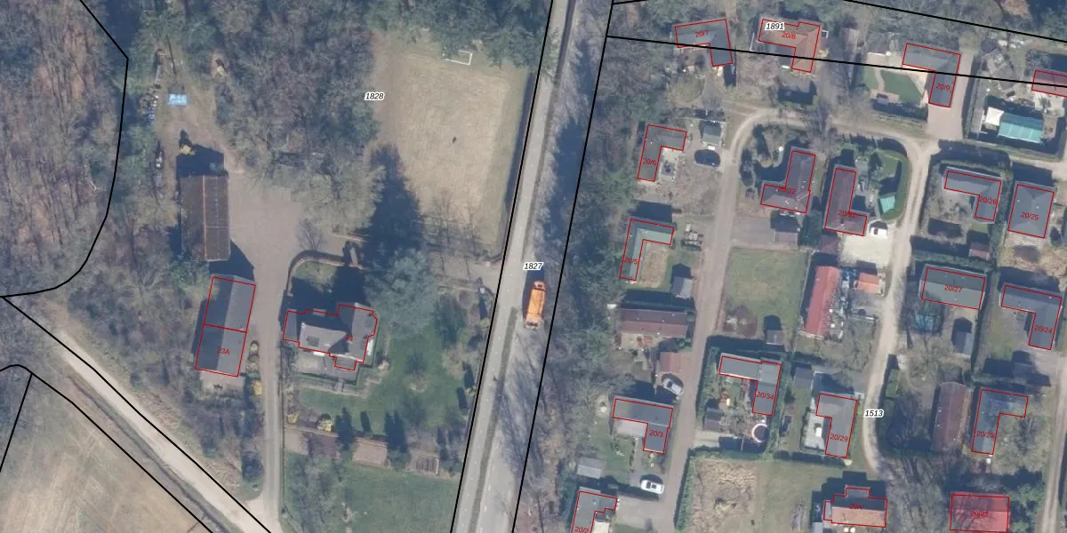
Perceel: PTN01-B-1827
KadastraleKaart.com kan meer dan je denktOntdek meer ›
Filter op bestemming 50+ datasets Eigendomsdata in één klik Percelen CRM
Geen adressen bij dit perceel
7.310 m2 - 1.717 m
Eigenaar opvragen
PTN01-B-1827 (Putten)
- Geen postcode aanwezig
zOU0LaR6AAJuyJiBUpgrade naar KadastraleKaart Pro
Bekijk op Street View
Download DWG/DXF/Excel
wiQLEuNCeDLUpgrade naar KadastraleKaart Pro
XtvBKoyi CZebz9fmW HodUpgrade naar KadastraleKaart Pro
Q W1h4 QShLUpgrade naar KadastraleKaart Pro
XbmZ2ME71ONw kUpgrade naar KadastraleKaart Pro
aB3ZqQJ kcTdUpgrade naar KadastraleKaart Pro
wsXjC8g59mz6AioFf9SUpgrade naar KadastraleKaart Pro
jmkY 9Zyp9BUpgrade naar KadastraleKaart Pro
xFh 3kk3Jl4AAMVU7TUpgrade naar KadastraleKaart Pro
RlcjYjcgL t5rpEnC 9eetNUpgrade naar KadastraleKaart Pro
Y7fohoTEUpgrade naar KadastraleKaart Pro
29/04/2016

Percelen
Gebruik de zoekbalk of klik op een perceel om informatie over het perceel te bekijken.