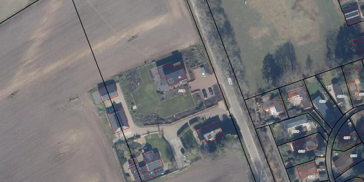
Perceel: PTN01-D-2139
KadastraleKaart.com kan meer dan je denktOntdek meer ›
Filter op bestemming 50+ datasets Eigendomsdata in één klik Percelen CRM
8.735 m2 - 424 m
Eigenaar opvragen
PTN01-D-2139 (Putten)
- 3881 NJ
g 1Y9ioYBn6nLvFhrF1SaG3yjHUpgrade naar KadastraleKaart Pro
Bekijk op Street View
Download DWG/DXF/Excel
4tfG2LKqXmOUpgrade naar KadastraleKaart Pro
PkoNidon73TOTSUpgrade naar KadastraleKaart Pro
FCKRuOEhx07 drQenUpgrade naar KadastraleKaart Pro
4aR96ySLUpgrade naar KadastraleKaart Pro
gwR7uEDHuKyJvKnKmUpgrade naar KadastraleKaart Pro
Ua c1c8Kd3 12WoFEUpgrade naar KadastraleKaart Pro
nTSO4ZMBf gUpgrade naar KadastraleKaart Pro
xp3 LlRcy4yicnGvadvYLNUpgrade naar KadastraleKaart Pro
g 36P2z8Upgrade naar KadastraleKaart Pro
PVF fiTtHS5v uLgUpgrade naar KadastraleKaart Pro
15/12/2008

Percelen
Gebruik de zoekbalk of klik op een perceel om informatie over het perceel te bekijken.