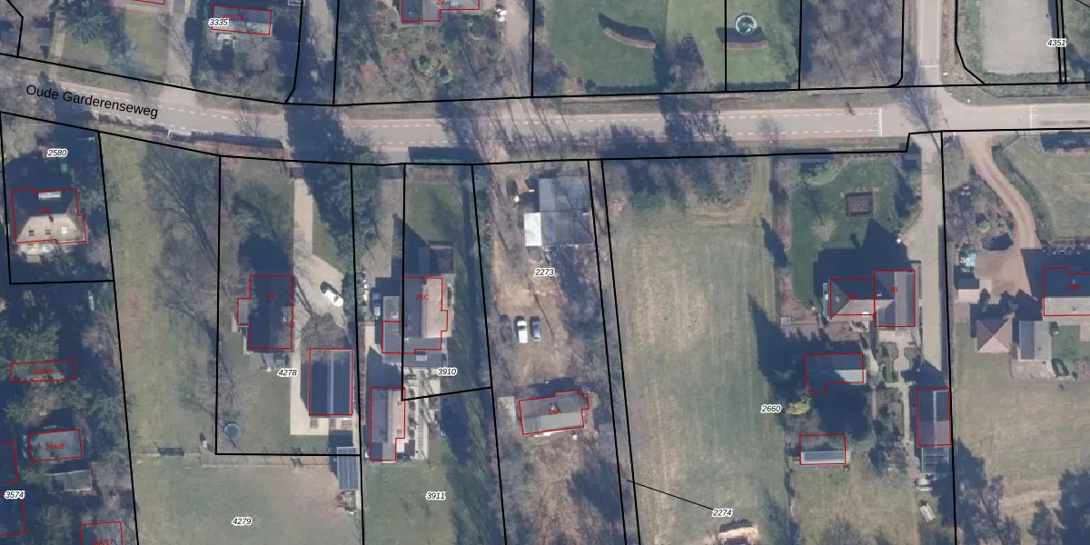
Perceel: PTN01-D-2273
KadastraleKaart.com kan meer dan je denktOntdek meer ›
Filter op bestemming 50+ datasets Eigendomsdata in één klik Percelen CRM
2.040 m2 - 232 m
Eigenaar opvragen
PTN01-D-2273 (Putten)
- 3881 PR
9crXW5OP0 7NnTggT74K5Sw6h bDZ0OUpgrade naar KadastraleKaart Pro
Bekijk op Street View
Download DWG/DXF/Excel
jb4NsbVS4WaUpgrade naar KadastraleKaart Pro
20lMDTI8lxLa1Q l YoxUpgrade naar KadastraleKaart Pro
7mNPOzSnBHDMO OLl88G Upgrade naar KadastraleKaart Pro
X2BoXmi Upgrade naar KadastraleKaart Pro
BqsxlR33O3dqo6qbUpgrade naar KadastraleKaart Pro
5uTJNhMJa7LCsB1xgoBpUpgrade naar KadastraleKaart Pro
zVBuadheEynXp1rMUpgrade naar KadastraleKaart Pro
0xXi1OWtU4rGTsl9HBAhUpgrade naar KadastraleKaart Pro
FIMaMWPEg Upgrade naar KadastraleKaart Pro
kJ vm6TaqMXzIOyUUpgrade naar KadastraleKaart Pro
21/10/2008

Percelen
Gebruik de zoekbalk of klik op een perceel om informatie over het perceel te bekijken.