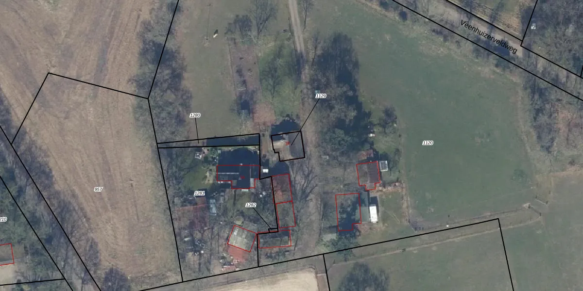
Perceel: PTN01-E-1129
KadastraleKaart.com kan meer dan je denktOntdek meer ›
Filter op bestemming 50+ datasets Eigendomsdata in één klik Percelen CRM
83 m2 - 39 m
Eigenaar opvragen
PTN01-E-1129 (Putten)
- 3881 RJ
VLrFwKoQ2 uZbrwRWUpgrade naar KadastraleKaart Pro
Bekijk op Street View
Download DWG/DXF/Excel
R scDCICbGStLSUpgrade naar KadastraleKaart Pro
rUcufCBoOsLA1JaWyGDSvJUpgrade naar KadastraleKaart Pro
3g0WHndMPTaYhYuHUpgrade naar KadastraleKaart Pro
XO5W3zL wryNeXPUpgrade naar KadastraleKaart Pro
TpuL3jn i4xQS Z9GKUpgrade naar KadastraleKaart Pro
IPyJK QfqDbUpgrade naar KadastraleKaart Pro
0 LGv2 hWywUpgrade naar KadastraleKaart Pro
I1 pu9zVln 2Y0BUpgrade naar KadastraleKaart Pro
K7NJ13B8Ril1nUpgrade naar KadastraleKaart Pro
KoTd4s71oVBssgK9kUpgrade naar KadastraleKaart Pro
23/07/1999

Percelen
Gebruik de zoekbalk of klik op een perceel om informatie over het perceel te bekijken.