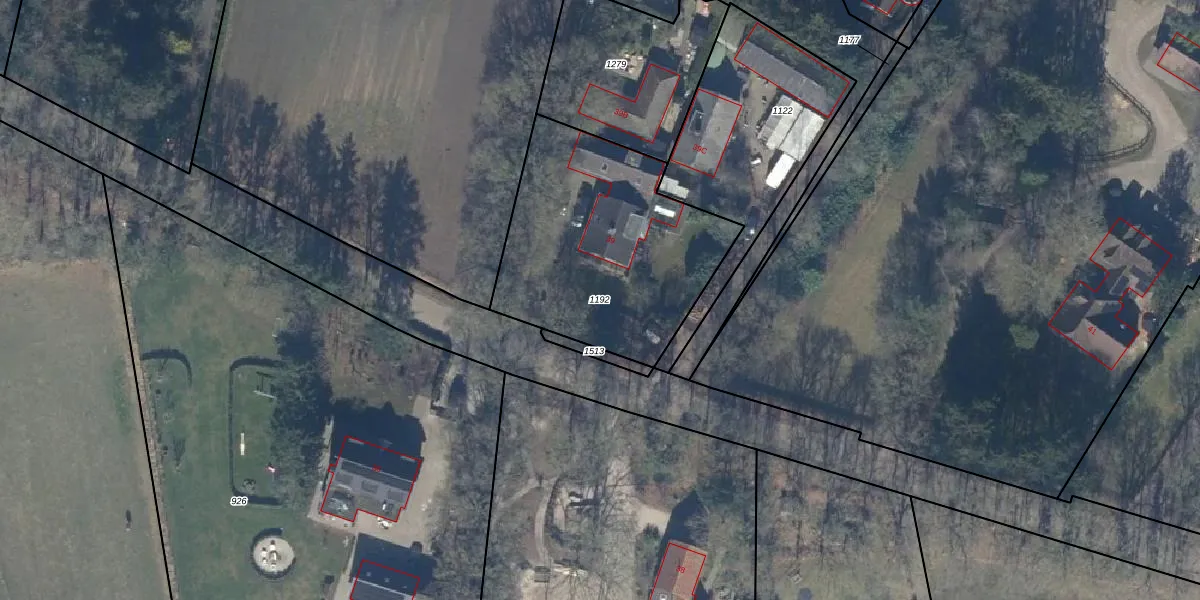
Perceel: PTN01-E-1192
KadastraleKaart.com kan meer dan je denktOntdek meer ›
Filter op bestemming 50+ datasets Eigendomsdata in één klik Percelen CRM
1.000 m2 - 135 m
Eigenaar opvragen
PTN01-E-1192 (Putten)
- 3881 RE
aUP04gY9GpeqPi2UUpgrade naar KadastraleKaart Pro
Verkoopprijs opvragen
Bekijk op Street View
Download DWG/DXF/Excel
RTDTdTtLyfuqE I5VnzUpgrade naar KadastraleKaart Pro
cbSPUaYhP50Rv1in iK DdUpgrade naar KadastraleKaart Pro
xNmlYI HP4u9fdB1H FuhUpgrade naar KadastraleKaart Pro
f xoEaWRVPYg7UWi qMtUpgrade naar KadastraleKaart Pro
mUstGAYGUpgrade naar KadastraleKaart Pro
kUcC22E8lp 3nVB4vomhRpUpgrade naar KadastraleKaart Pro
s5vAj4 bpBFHCdxOUpgrade naar KadastraleKaart Pro
11KJulw7ZU6ZKUpgrade naar KadastraleKaart Pro
87 9gd EyWQZ Upgrade naar KadastraleKaart Pro
YF uqVF O18Oh acei00jUpgrade naar KadastraleKaart Pro
18/06/2018

Percelen
Gebruik de zoekbalk of klik op een perceel om informatie over het perceel te bekijken.