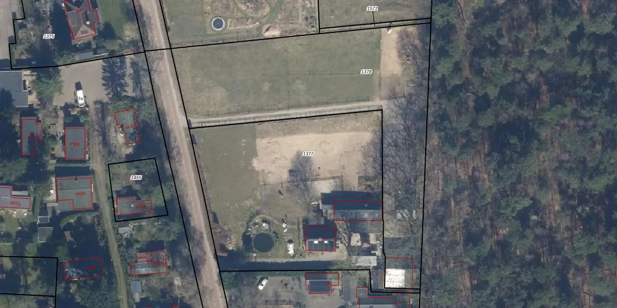
Perceel: PTN01-E-1377
KadastraleKaart.com kan meer dan je denktOntdek meer ›
Filter op bestemming 50+ datasets Eigendomsdata in één klik Percelen CRM
2.770 m2 - 253 m
Eigenaar opvragen
PTN01-E-1377 (Putten)
- 3881 PC
I Q M2dzot8NhPPle3mbX5ujmv KUpgrade naar KadastraleKaart Pro
Verkoopprijs opvragen
Bekijk op Street View
Download DWG/DXF/Excel
3QUNnkMC0L7i5Y63FkEUv9Upgrade naar KadastraleKaart Pro
bl2UHwJTNPyV4rzs29lZ1Upgrade naar KadastraleKaart Pro
tfBFjjN UyUpgrade naar KadastraleKaart Pro
plr6btU KUyE1YcH0yUpgrade naar KadastraleKaart Pro
79 Y4xarqMu32bs40Upgrade naar KadastraleKaart Pro
3jXLvjvLnu8dUpgrade naar KadastraleKaart Pro
NIYsDImSYs5qQH2MrgNaUpgrade naar KadastraleKaart Pro
gJCM eoBslUpgrade naar KadastraleKaart Pro
3oEBANSZ f9 2PKID2pdi4Upgrade naar KadastraleKaart Pro
Kl909 TVxuTUpgrade naar KadastraleKaart Pro
22/09/2005

Percelen
Gebruik de zoekbalk of klik op een perceel om informatie over het perceel te bekijken.