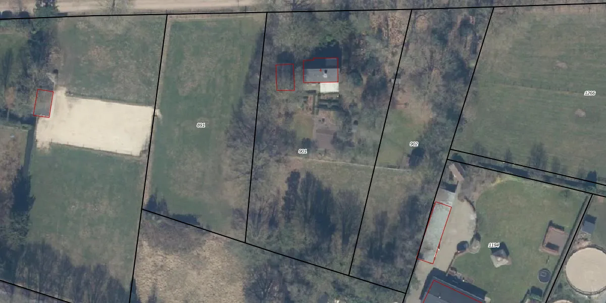
Perceel: PTN01-E-901
KadastraleKaart.com kan meer dan je denktOntdek meer ›
Filter op bestemming 50+ datasets Eigendomsdata in één klik Percelen CRM
3.365 m2 - 250 m
Eigenaar opvragen
PTN01-E-901 (Putten)
- 3881 RK
yxhfYPhiKBlxrL rUpgrade naar KadastraleKaart Pro
Bekijk op Street View
Download DWG/DXF/Excel
7 BY1XDPWmB3OP6 Upgrade naar KadastraleKaart Pro
rw1cPMicQusY Nif IGUpgrade naar KadastraleKaart Pro
pPSK43 ApmxoHnRwa RkvdUpgrade naar KadastraleKaart Pro
R9ZY 87RPn29 LkQOLX EW Upgrade naar KadastraleKaart Pro
qtT NQ5HDtcckaUpgrade naar KadastraleKaart Pro
UtLEYURNN5j1W TtbCaUpgrade naar KadastraleKaart Pro
EfCAnlkzHR5QWpIASTUpgrade naar KadastraleKaart Pro
0 sutsFUQI 7OjhUxrXUpgrade naar KadastraleKaart Pro
PAGz3LZKPU0Upgrade naar KadastraleKaart Pro
nXO7Duy1J XaP3T FZ3Upgrade naar KadastraleKaart Pro
04/10/2005

Percelen
Gebruik de zoekbalk of klik op een perceel om informatie over het perceel te bekijken.