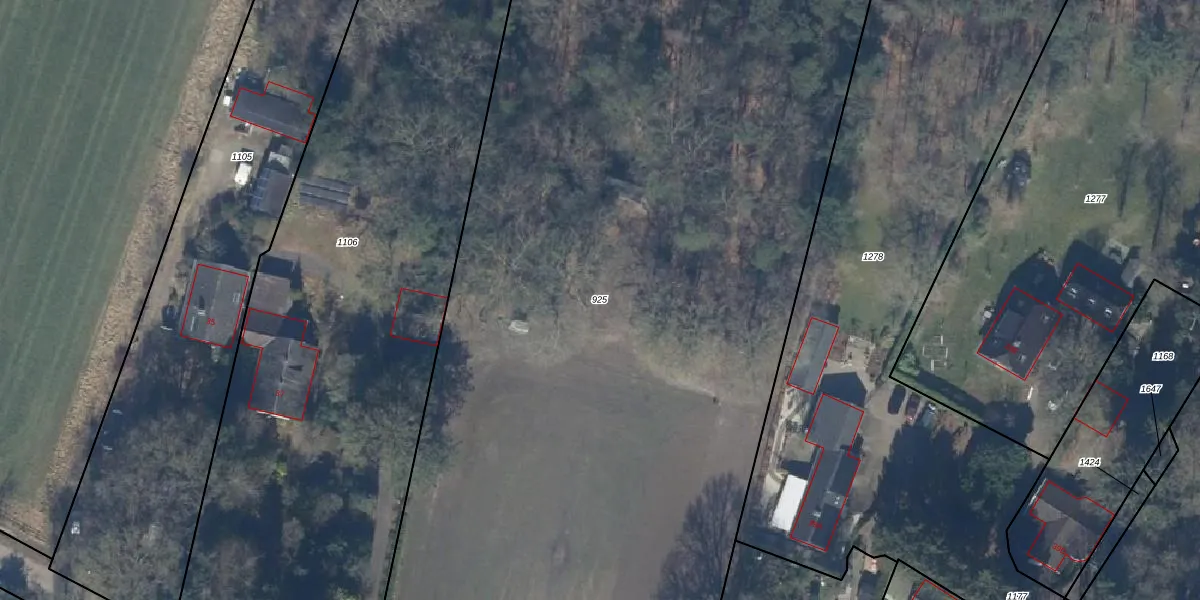
Perceel: PTN01-E-925
KadastraleKaart.com kan meer dan je denktOntdek meer ›
Filter op bestemming 50+ datasets Eigendomsdata in één klik Percelen CRM
Geen adressen bij dit perceel
9.700 m2 - 459 m
Eigenaar opvragen
PTN01-E-925 (Putten)
- Geen postcode aanwezig
YUhbW71B9oWTg9CrJvax Aw7OhUpgrade naar KadastraleKaart Pro
Bekijk op Street View
Download DWG/DXF/Excel
pQl1SV6DZ mfUpgrade naar KadastraleKaart Pro
vcLTQkpLP4dvFUpgrade naar KadastraleKaart Pro
8B96k9oWTSNKx QLYOa C5Upgrade naar KadastraleKaart Pro
B tlucVLnL roUpgrade naar KadastraleKaart Pro
AX7omXKFkEOUcMO9Ky8XEUsUpgrade naar KadastraleKaart Pro
AhJ1SQ36EXOuNjEwUpgrade naar KadastraleKaart Pro
e6U98jv b7q8w M0Upgrade naar KadastraleKaart Pro
tmjphqz6mmahKbCVN44csZrUpgrade naar KadastraleKaart Pro
rRc3at JjySqDq25Upgrade naar KadastraleKaart Pro
iiCQCsn0Upgrade naar KadastraleKaart Pro
04/10/2005

Percelen
Gebruik de zoekbalk of klik op een perceel om informatie over het perceel te bekijken.