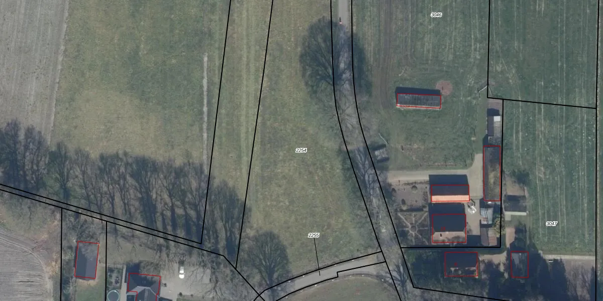
Perceel: PTN01-F-2254
KadastraleKaart.com kan meer dan je denktOntdek meer ›
Filter op bestemming 50+ datasets Eigendomsdata in één klik Percelen CRM
Geen adressen bij dit perceel
3.816 m2 - 379 m
Eigenaar opvragen
PTN01-F-2254 (Putten)
- Geen postcode aanwezig
tL9 tqQH T9O6 EKuEKUpgrade naar KadastraleKaart Pro
Bekijk op Street View
Download DWG/DXF/Excel
BuyD1twuAZUpgrade naar KadastraleKaart Pro
3B baYJaXSUpgrade naar KadastraleKaart Pro
Wredkl PPMW zUpgrade naar KadastraleKaart Pro
RKJC XL0ZvlsUpgrade naar KadastraleKaart Pro
jJx SMbgk6zUpgrade naar KadastraleKaart Pro
fiGCSW ecD9fCb GYUUpgrade naar KadastraleKaart Pro
ScT2cvS0VXUUpgrade naar KadastraleKaart Pro
u3gsxbhuUpgrade naar KadastraleKaart Pro
PoLJKQWcv5OHqUYQJUpgrade naar KadastraleKaart Pro
4 AX au2 tU6Q2rXTHUpgrade naar KadastraleKaart Pro
07/06/1999

Percelen
Gebruik de zoekbalk of klik op een perceel om informatie over het perceel te bekijken.