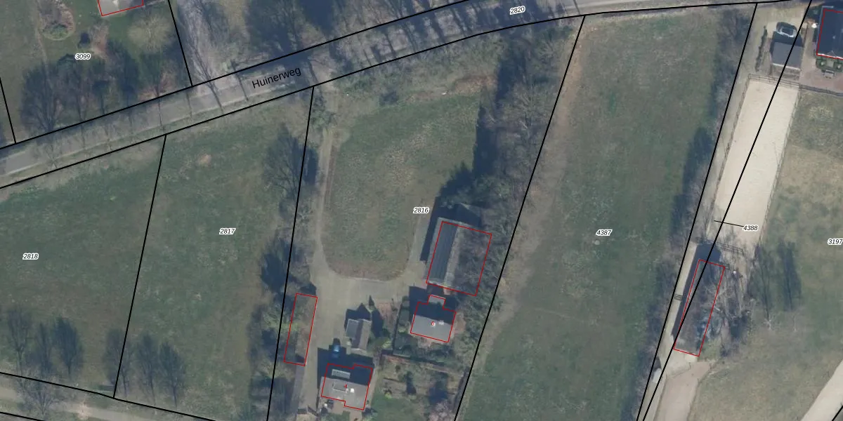
Perceel: PTN01-F-2816
KadastraleKaart.com kan meer dan je denktOntdek meer ›
Filter op bestemming 50+ datasets Eigendomsdata in één klik Percelen CRM
4.898 m2 - 305 m
Eigenaar opvragen
PTN01-F-2816 (Putten)
- 3882 TH
YNRFpx lP3GEsNm UFZ5nsko2Upgrade naar KadastraleKaart Pro
Bekijk op Street View
Download DWG/DXF/Excel
dGNEjW0 k kNUNaUpgrade naar KadastraleKaart Pro
HEL C9Yvfe S6Upgrade naar KadastraleKaart Pro
lUkdhwC3Upgrade naar KadastraleKaart Pro
YnCdIBNuUpgrade naar KadastraleKaart Pro
ec3y TQZUpgrade naar KadastraleKaart Pro
CbG3tWeJyy0eUpgrade naar KadastraleKaart Pro
M8WrYBY08 hTFPA NhAUpgrade naar KadastraleKaart Pro
xHMNvoYG6Upgrade naar KadastraleKaart Pro
K7E4t26mqkg 548BXHnmUpgrade naar KadastraleKaart Pro
io6 y3C5Upgrade naar KadastraleKaart Pro
27/04/1999

Percelen
Gebruik de zoekbalk of klik op een perceel om informatie over het perceel te bekijken.