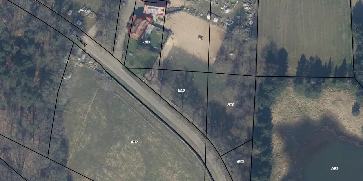
Perceel: PTN01-F-2864
KadastraleKaart.com kan meer dan je denktOntdek meer ›
Filter op bestemming 50+ datasets Eigendomsdata in één klik Percelen CRM
Geen adressen bij dit perceel
535 m2 - 138 m
Eigenaar opvragen
PTN01-F-2864 (Putten)
- Geen postcode aanwezig
Dirhz6pwrKXRn nJmXUpgrade naar KadastraleKaart Pro
Bekijk op Street View
Download DWG/DXF/Excel
KLP6Lf4cZO3lMZ97Zo9pnUpgrade naar KadastraleKaart Pro
D04 mkVW2bdJrLUpgrade naar KadastraleKaart Pro
uiBa IB3XjVqLsVMGUpgrade naar KadastraleKaart Pro
yllHNOJyN98qqZzUGre2FGUpgrade naar KadastraleKaart Pro
zvdg16LrUpgrade naar KadastraleKaart Pro
S5xENMBMUpgrade naar KadastraleKaart Pro
TQ m8vv2byxj Upgrade naar KadastraleKaart Pro
eeKc8G8uFygCIEkLXmwoqUpgrade naar KadastraleKaart Pro
eeuyfpvKgOLAp2RDFTNGLnUpgrade naar KadastraleKaart Pro
dRbnhYFoeFfdfaTEdjVb RUpgrade naar KadastraleKaart Pro
20/06/2022

Percelen
Gebruik de zoekbalk of klik op een perceel om informatie over het perceel te bekijken.