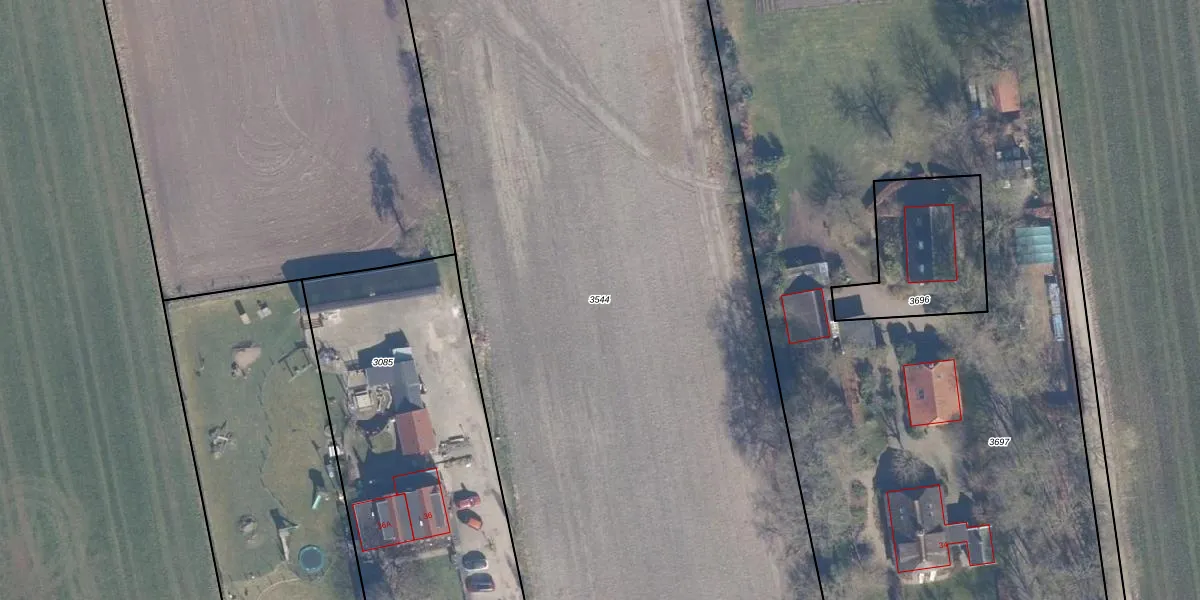
Perceel: PTN01-F-3544
Geen adressen bij dit perceel
11.020 m2 - 549 m
Eigenaar opvragen
PTN01-F-3544 (Putten)
- Geen postcode aanwezig
prb3GUuJfe6tIU3srUl0GJrYWz14aUpgrade naar KadastraleKaart Pro
Bekijk op Street View
Download DWG/DXF/Excel
EWTXsiO vCcNqb vUpgrade naar KadastraleKaart Pro
82t02QiKHFPSNuvSN2rUpgrade naar KadastraleKaart Pro
z1MJkkIIsTOjga1 BuQUpgrade naar KadastraleKaart Pro
CEx5K6TlL yFUpgrade naar KadastraleKaart Pro
7ntZn32PIgCRjgZuPUpgrade naar KadastraleKaart Pro
tWKBVjZZ5SKCKfYxk OfwT Upgrade naar KadastraleKaart Pro
dD Uo wFU47 Dr Upgrade naar KadastraleKaart Pro
iBOwHImiBGLbxUpgrade naar KadastraleKaart Pro
gj5EKqdO8 y0otc6ZwMUpgrade naar KadastraleKaart Pro
EBZXGh Ehle OfxlYqAOaUpgrade naar KadastraleKaart Pro
16/10/2002

Percelen
Gebruik de zoekbalk of klik op een perceel om informatie over het perceel te bekijken.