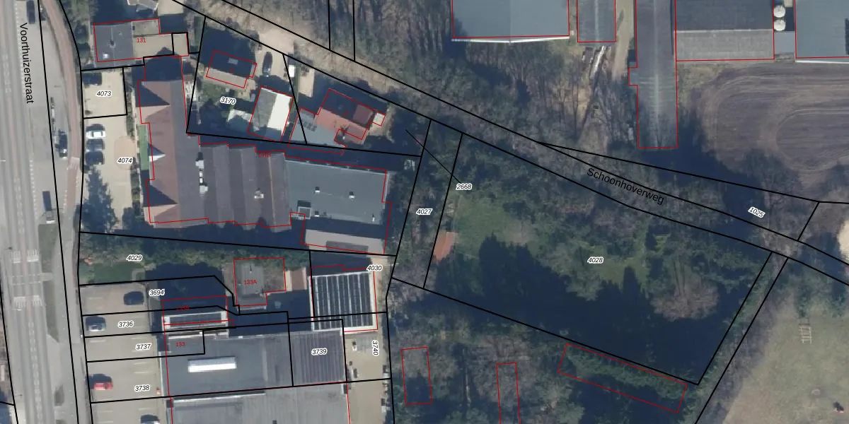
Perceel: PTN01-F-4027
Geen adressen bij dit perceel
310 m2 - 93 m
Eigenaar opvragen
PTN01-F-4027 (Putten)
- Geen postcode aanwezig
x 9d qwSSlt WUdqY Upgrade naar KadastraleKaart Pro
Bekijk op Street View
Download DWG/DXF/Excel
LNaJm 7ryiOc056EOkqCx zUpgrade naar KadastraleKaart Pro
nkK4ZyGwsFlOI6uUpgrade naar KadastraleKaart Pro
xMSM CR7reoQBUpgrade naar KadastraleKaart Pro
BapALIYgrpEylbAnmiYBcIUpgrade naar KadastraleKaart Pro
kFWr7rGjUpgrade naar KadastraleKaart Pro
cxj7J4lvOUpgrade naar KadastraleKaart Pro
1cnxKv zxVkCC3Z2dp3X0m7Upgrade naar KadastraleKaart Pro
M1LGfdv8IRMUpgrade naar KadastraleKaart Pro
DPgS151Uga DlEZllTKWxeHUpgrade naar KadastraleKaart Pro
N Nqeb5G0Vso1 KYcKtI4VeUpgrade naar KadastraleKaart Pro
26/11/2010

Percelen
Gebruik de zoekbalk of klik op een perceel om informatie over het perceel te bekijken.