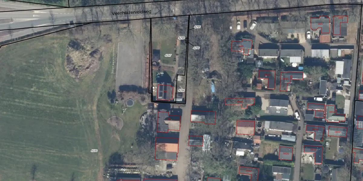
Perceel: PTN01-F-4294
KadastraleKaart.com kan meer dan je denktOntdek meer ›
Filter op bestemming 50+ datasets Eigendomsdata in één klik Percelen CRM
Geen adressen bij dit perceel
148 m2 - 197 m
Eigenaar opvragen
PTN01-F-4294 (Putten)
- Geen postcode aanwezig
Cm8iH5rrLPJ9IkJGBxj ZlEYUpgrade naar KadastraleKaart Pro
Bekijk op Street View
Download DWG/DXF/Excel
rk3ZgQLr622xrZfc391PutOUpgrade naar KadastraleKaart Pro
l0dz5ww6UlhS 8lbCjjfjUJUpgrade naar KadastraleKaart Pro
tsRjyLzyc CUUpgrade naar KadastraleKaart Pro
Sxwke50sh AUpgrade naar KadastraleKaart Pro
LwCYrDopisFkUpgrade naar KadastraleKaart Pro
SWZyRmo6m6K5z37yrkbBbZHUpgrade naar KadastraleKaart Pro
FPrfOTGko TQGuVR6r7lLUpgrade naar KadastraleKaart Pro
e qrflXhhUpgrade naar KadastraleKaart Pro
ElAOkMGhl70L IlgDKtSUpgrade naar KadastraleKaart Pro
5 GzR8i5goErvet 4Upgrade naar KadastraleKaart Pro
16/09/2019

Percelen
Gebruik de zoekbalk of klik op een perceel om informatie over het perceel te bekijken.