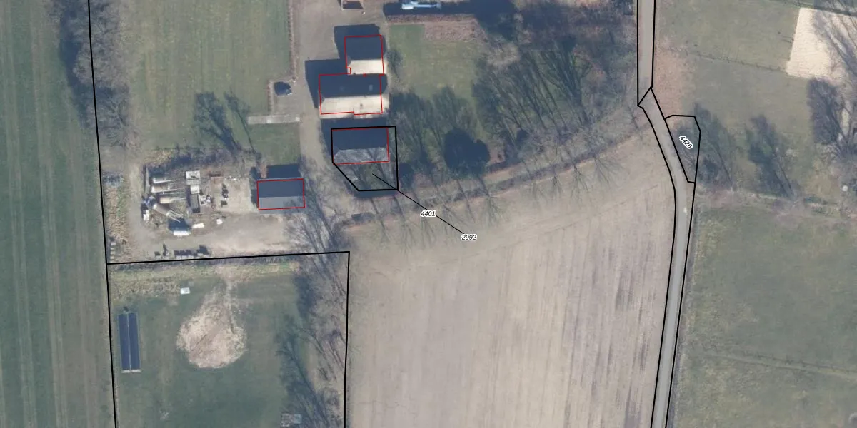
Perceel: PTN01-F-4401
KadastraleKaart.com kan meer dan je denktOntdek meer ›
Filter op bestemming 50+ datasets Eigendomsdata in één klik Percelen CRM
14.690 m2 - 688 m
Eigenaar opvragen
PTN01-F-4401 (Putten)
- 3882 LC
H2XqN zgTw2b2 y 4s W8orV Upgrade naar KadastraleKaart Pro
Bekijk op Street View
Download DWG/DXF/Excel
6JxRycxRes Upgrade naar KadastraleKaart Pro
ytYUs0kERblMT2UHPaRMUpgrade naar KadastraleKaart Pro
tOROgyYZZbbUpgrade naar KadastraleKaart Pro
9unet17JkqUpgrade naar KadastraleKaart Pro
GjPOqevl xnUpgrade naar KadastraleKaart Pro
8Kn3NWfZTQnMQtDUpgrade naar KadastraleKaart Pro
pBG6hytoUpgrade naar KadastraleKaart Pro
LlXyO kUUpgrade naar KadastraleKaart Pro
F L7FU5PQebxQG1Eay3K6zBUpgrade naar KadastraleKaart Pro
B35S jVuFj Upgrade naar KadastraleKaart Pro
13/05/2022

Percelen
Gebruik de zoekbalk of klik op een perceel om informatie over het perceel te bekijken.