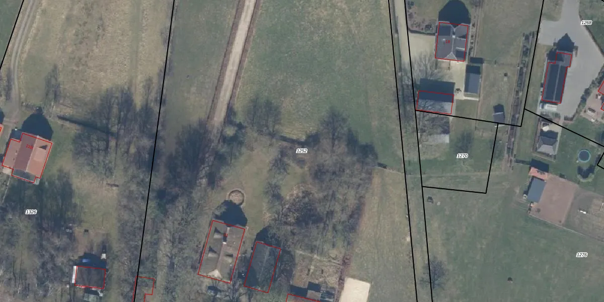
Perceel: PTN01-G-1252
KadastraleKaart.com kan meer dan je denktOntdek meer ›
Filter op bestemming 50+ datasets Eigendomsdata in één klik Percelen CRM
12.830 m2 - 480 m
Eigenaar opvragen
PTN01-G-1252 (Putten)
- 3882 LV
M4t9qjg8RF4 y29iRgKaGEKcjN810Upgrade naar KadastraleKaart Pro
Verkoopprijs opvragen
Bekijk op Street View
Download DWG/DXF/Excel
LD2KH M3fJUpgrade naar KadastraleKaart Pro
3k XnGZJ R03C9RlKBic7cLUpgrade naar KadastraleKaart Pro
o4LHj44yUpgrade naar KadastraleKaart Pro
W LRHsK7NnUpgrade naar KadastraleKaart Pro
mOBumd2OGCFpHBVBhUpgrade naar KadastraleKaart Pro
h Bf 4SiFOYqv7VTW7hp6Upgrade naar KadastraleKaart Pro
Pwvg xbdJIBQ2VdiD1BBAUpgrade naar KadastraleKaart Pro
DBe IJv0cTOJbNr GUpgrade naar KadastraleKaart Pro
PjNTKwTXZ3nCi45QbAOieUpgrade naar KadastraleKaart Pro
bEbPCVbYflnlUpgrade naar KadastraleKaart Pro
04/10/2012

Percelen
Gebruik de zoekbalk of klik op een perceel om informatie over het perceel te bekijken.