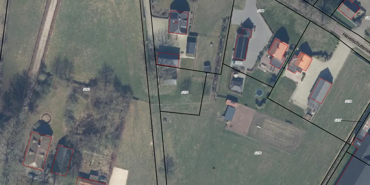
Perceel: PTN01-G-1270
KadastraleKaart.com kan meer dan je denktOntdek meer ›
Filter op bestemming 50+ datasets Eigendomsdata in één klik Percelen CRM
Geen adressen bij dit perceel
595 m2 - 98 m
Eigenaar opvragen
PTN01-G-1270 (Putten)
- Geen postcode aanwezig
1Lt smPl6FSC ttpWDa wmJ5VUpgrade naar KadastraleKaart Pro
Bekijk op Street View
Download DWG/DXF/Excel
N1flZ8dFMsUpgrade naar KadastraleKaart Pro
f hWyL1ZfNUpgrade naar KadastraleKaart Pro
z 9sLDiL7my1hialUpgrade naar KadastraleKaart Pro
50NAWNg19vETTOsIFUpgrade naar KadastraleKaart Pro
th36PNtxNdGBsnnkX VueUpgrade naar KadastraleKaart Pro
Hq3GIxLq xTHsV47oaMHHEUpgrade naar KadastraleKaart Pro
3NOlxN leDUpgrade naar KadastraleKaart Pro
fYpcZtd luPNhqg xjGUUpgrade naar KadastraleKaart Pro
lMYUHmpC1nowIbtdOJUpgrade naar KadastraleKaart Pro
cj HaZKyci o4Xp Upgrade naar KadastraleKaart Pro
28/01/2004

Percelen
Gebruik de zoekbalk of klik op een perceel om informatie over het perceel te bekijken.