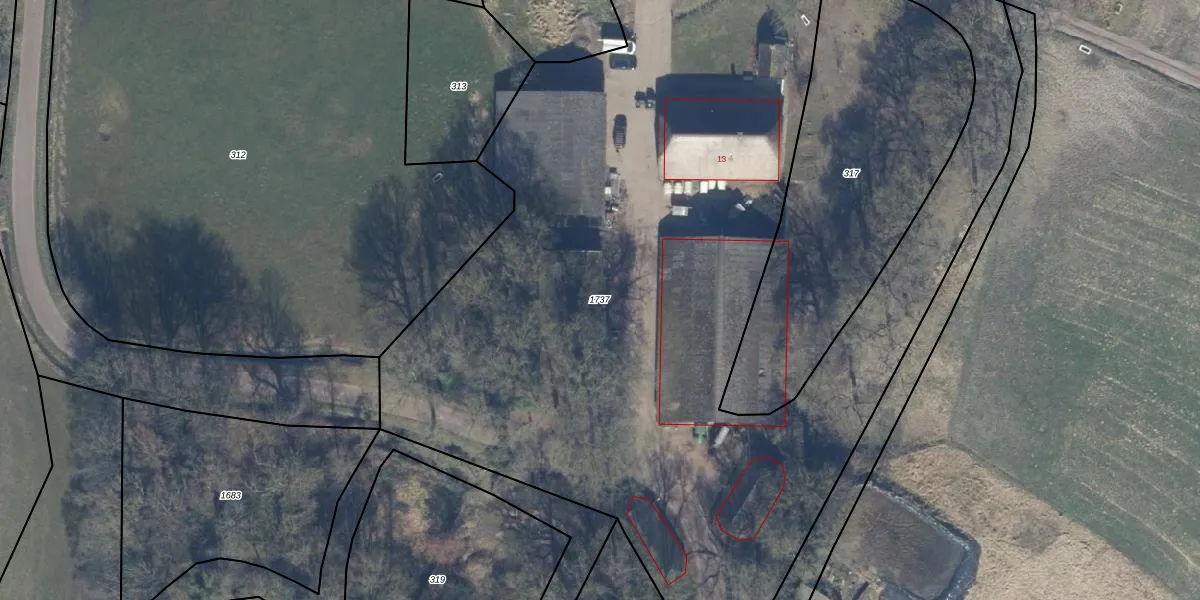
Perceel: PTN01-H-1737
KadastraleKaart.com kan meer dan je denktOntdek meer ›
Filter op bestemming 50+ datasets Eigendomsdata in één klik Percelen CRM
6.982 m2 - 651 m
Eigenaar opvragen
PTN01-H-1737 (Putten)
- 3882 SM
I1dLjAZvfL pSb2ll jJqUpgrade naar KadastraleKaart Pro
Bekijk op Street View
Download DWG/DXF/Excel
CkYnUcLsC RCUpgrade naar KadastraleKaart Pro
ag4V3AGiUpgrade naar KadastraleKaart Pro
XTobxhrpRN11lDCkqJUpgrade naar KadastraleKaart Pro
VA3xfuEuAS cQTuUpgrade naar KadastraleKaart Pro
27IyceQ 7ki1nn 57 DUpgrade naar KadastraleKaart Pro
gq25k5U6ed7aHATLsfUpgrade naar KadastraleKaart Pro
T B 7dWmlUQUpgrade naar KadastraleKaart Pro
mBeN 3Si2iag8Upgrade naar KadastraleKaart Pro
WtmTiL YVsCUpgrade naar KadastraleKaart Pro
As c7l6MAWyHbaUpgrade naar KadastraleKaart Pro
16/09/1998

Percelen
Gebruik de zoekbalk of klik op een perceel om informatie over het perceel te bekijken.