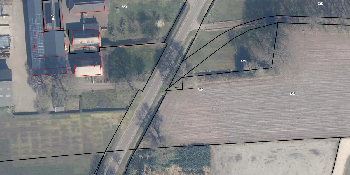
Perceel: PTN01-M-387
KadastraleKaart.com kan meer dan je denktOntdek meer ›
Filter op bestemming 50+ datasets Eigendomsdata in één klik Percelen CRM
Geen adressen bij dit perceel
34 m2 - 29 m
Eigenaar opvragen
PTN01-M-387 (Putten)
- Geen postcode aanwezig
65 XvkR3nwLhqQIoeCwgkle4OW Tg Upgrade naar KadastraleKaart Pro
Bekijk op Street View
Download DWG/DXF/Excel
zRKIKi1uBteduJAvIZXUpgrade naar KadastraleKaart Pro
GW6pdqLOhpbGkCxTIRjHqxZUpgrade naar KadastraleKaart Pro
7KtiSR09awKRxR Upgrade naar KadastraleKaart Pro
pnjX27 NbUpgrade naar KadastraleKaart Pro
aTcpdqxSoSpEUpgrade naar KadastraleKaart Pro
QykgXgnca0db0uIoji2KoUpgrade naar KadastraleKaart Pro
x QTPHeartwh7H anor3Upgrade naar KadastraleKaart Pro
UK4HI h84GYUpgrade naar KadastraleKaart Pro
A2W TgiHeUpgrade naar KadastraleKaart Pro
A5O 7NjW 8Upgrade naar KadastraleKaart Pro
08/03/1999

Percelen
Gebruik de zoekbalk of klik op een perceel om informatie over het perceel te bekijken.