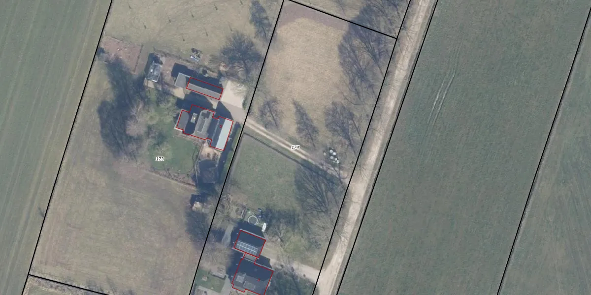
Perceel: PTN01-N-174
KadastraleKaart.com kan meer dan je denktOntdek meer ›
Filter op bestemming 50+ datasets Eigendomsdata in één klik Percelen CRM
4.470 m2 - 302 m
Eigenaar opvragen
PTN01-N-174 (Putten)
- 3882 NS
XUcEwCDf Vo4XR4EUpgrade naar KadastraleKaart Pro
Verkoopprijs opvragen
Bekijk op Street View
Download DWG/DXF/Excel
qJqpgO8W c 7 ZjUpgrade naar KadastraleKaart Pro
d81fR9eER7 pKxkUpgrade naar KadastraleKaart Pro
AHuovBDnZx ycUpgrade naar KadastraleKaart Pro
avDCn RYw K5l 9eLUpgrade naar KadastraleKaart Pro
lsYDtmH5Lb4iuC0Upgrade naar KadastraleKaart Pro
gUDEwH2zDExUpgrade naar KadastraleKaart Pro
zhL 0oo1jOUpgrade naar KadastraleKaart Pro
5Cd dajfr3vCuiUpgrade naar KadastraleKaart Pro
Jsm7VM1wZ7REv pGmCOrpUpgrade naar KadastraleKaart Pro
AYhWzMF5zrzl ZO QC2Upgrade naar KadastraleKaart Pro
20/11/2003

Percelen
Gebruik de zoekbalk of klik op een perceel om informatie over het perceel te bekijken.