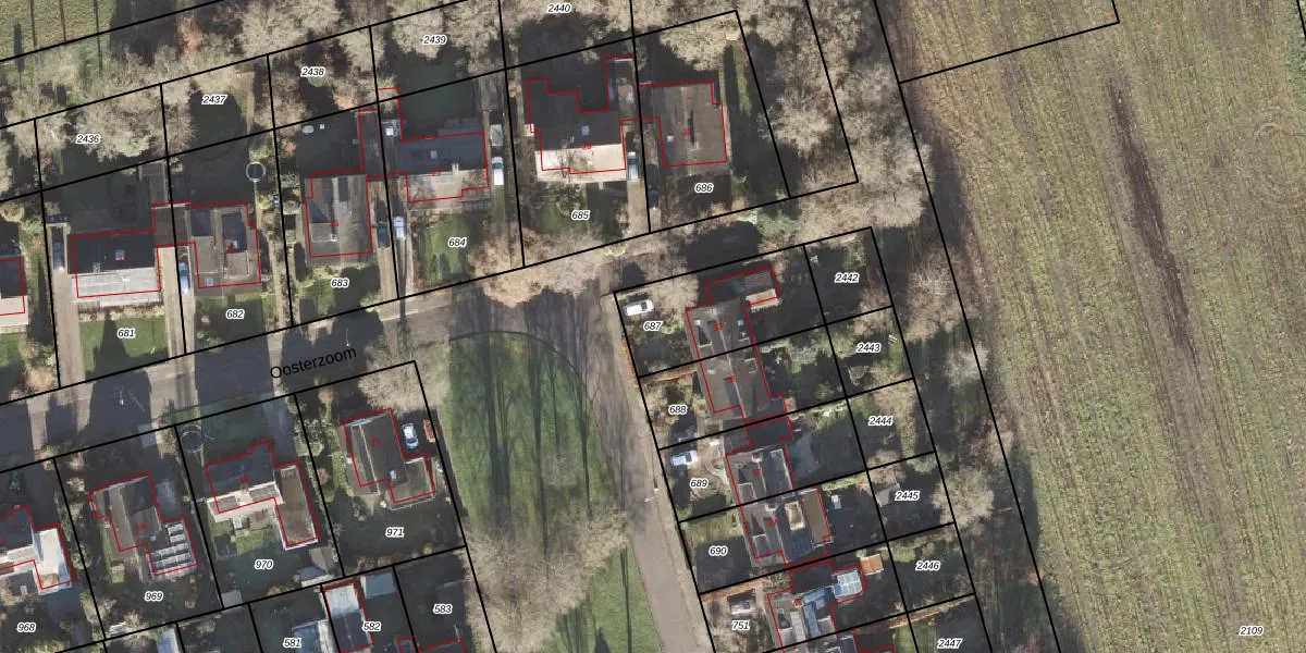
Perceel: PZE00-G-687
KadastraleKaart.com kan meer dan je denktOntdek meer ›
Filter op bestemming 50+ datasets Eigendomsdata in één klik Percelen CRM
396 m2 - 86 m
Eigenaar opvragen
PZE00-G-687 (Peize)
- 9321 EG
RSvL 30aP MzTl1t QEZUpgrade naar KadastraleKaart Pro
Verkoopprijs opvragen
Bekijk op Street View
Download DWG/DXF/Excel
mROyXnDCkfyPfgNUpgrade naar KadastraleKaart Pro
HK0B itpYfToYUpgrade naar KadastraleKaart Pro
6Pf r6rQ9CJO v2 BIUUpgrade naar KadastraleKaart Pro
nn U8C7B fm6EGodYgNARUpgrade naar KadastraleKaart Pro
6mBp8O7m9STmmaxvUpgrade naar KadastraleKaart Pro
2Wzlq1 k7lBwSStYhrUpgrade naar KadastraleKaart Pro
4frw6oqw SrrUpgrade naar KadastraleKaart Pro
jPUyx7doelmYUmH5gUpgrade naar KadastraleKaart Pro
HTvZB dZBC2rsn5QUpgrade naar KadastraleKaart Pro
ztnR gcJ g UqfjiBs4 a Upgrade naar KadastraleKaart Pro
01/05/2017

Percelen
Gebruik de zoekbalk of klik op een perceel om informatie over het perceel te bekijken.